
Rottnest Island Regulations 1988
Rottnest Island Regulations 1988
CONTENTS
Part 1 — Preliminary
1.Citation1
2.Commencement1
3.Terms used1
4.Permission, meaning, granting etc. of4
Part 2 — Fees
5.Admission fees5
6.Collection of admission fees by transport operators6
6A.Audit of accounts etc. of certain transport operators as to admission fees7
7.Annual fee for non‑commercial vessels etc. in lieu of admission fees7
7A.Annual payment by charter operators in lieu of admission fees8
7B.Aerodrome usage fees9
7C.Annual payment in lieu of aerodrome usage fees10
7D.Exceptions to r. 7B and 7C11
7E.Main Ferry Jetty berthing fee11
Part 3 — Residence on Island
8.Licence to occupy accommodation12
9.Casual residence on Island13
10.Conditions on r. 8 licences13
Part 4 — Moorings
Division 1 — General control provisions
11.Installing and using moorings15
12.Anchoring vessels16
13A.Securing vessel by means of another vessel’s anchor16
13.Anchored and moored vessels to have competent operators17
14.Application of r. 11, 12 and 13 to person on vessel17
Division 2 — Rental moorings
15.Licence to occupy rental mooring18
16.Rent for r. 15 licence18
17.Cancellation of r. 15 licence19
18.Damage to rental mooring19
Division 3 — Mooring site licences
19.Terms used20
20.Application for and grant of licences21
21.Waiting lists of applicants24
22.Offer and acceptance of licences24
23.Authority not obliged to offer licence26
24.Licences, issue and content of26
25.Register of licences27
26.Licensed vessels for mooring site moorings; substituting vessels28
27.Additional vessels for mooring site moorings, registration of etc.31
28.Mooring specifications, compliance requirements as to32
28A.Authority may reject mooring inspection report33
29.Unattended vessels on mooring site mooring33
30.Licences, nature of, duties of holder on cessation of; exchange of sites34
31A.Authorised user may use mooring site with licensee’s consent36
31B.How licensee authorises person to be authorised user of mooring site36
31C.How Authority authorises person to be authorised user of mooring site37
31D.Changing authorised user’s authorised vessel38
31E.Annual payments by authorised users39
31F.Revoking etc. authorisation given under r. 31B or 31C39
32.Term of licences; cancelling licences40
33.Renewing licences41
34.Directions to licensees by Authority42
35.Rebates of fees etc. in some cases43
35A.Net worth of vessel, disputes as to43
35B.Notices may be affixed to vessel etc.43
Part 5 — General management
Division 1 — Control and regulation of access
36.Restricted areas, protected areas and closed tracks etc.45
Division 1A — Vessels
36A.Mooring vessels to land; beach anchors46
37.Beaching vessels in some circumstances46
38.Boats on lakes47
38A.Speed restrictions for vessels48
38BA.Restricting use of certain vessels to specified areas48
38B.Areas may be set aside for specified vessels48
38C.Sullage from vessels49
Division 2 — Protection of flora, fauna, etc.
39.Flora etc., protection of49
40.Fauna, protection of50
41.No animal or bird to be landed on Island50
41A.Fauna, feeding of51
41B.No flora to be brought to Island51
42.Rocks and soil, protection of52
Division 3 — Vehicles
43.Application of Road Traffic Act 197452
44.Traffic signs and directions52
45.Restriction on bringing vehicles to Island53
46.Use of vehicles54
47.Speed restrictions for vehicles54
48.Motor vehicles to give way55
49.Vehicles on beaches55
50.Emergency vehicles55
51.Possession of hired bicycles56
Division 4 — Control of certain activities
52.Erection of structures and tents56
53.Organized events and meetings57
54.Photography for commercial purposes58
55.Bill sticking, advertising etc.58
56.Distribution of printed matter58
57.Unauthorised sale etc. of goods or services59
58.Exception to r. 55 and 5659
59.Weapons etc.59
60.Fires60
60A.Sandboarding61
60B.Litter61
Division 5 — Protection of certain undertakings
61.Water supply facilities, protection of61
62.Electricity and gas supply facilities, protection of62
Part 6 — Rottnest aerodrome
63.Terms used64
64.Use and closure of aerodrome64
65.Access to aerodrome64
66.Aircraft landings etc. restricted to aerodrome65
67.Parking of aircraft65
68.Removing certain persons from aerodrome65
Part 7 — Offensive behaviour
69.Damage to property66
70.Assaults, indecent language, offensive behaviour etc.66
71.Unreasonable noise67
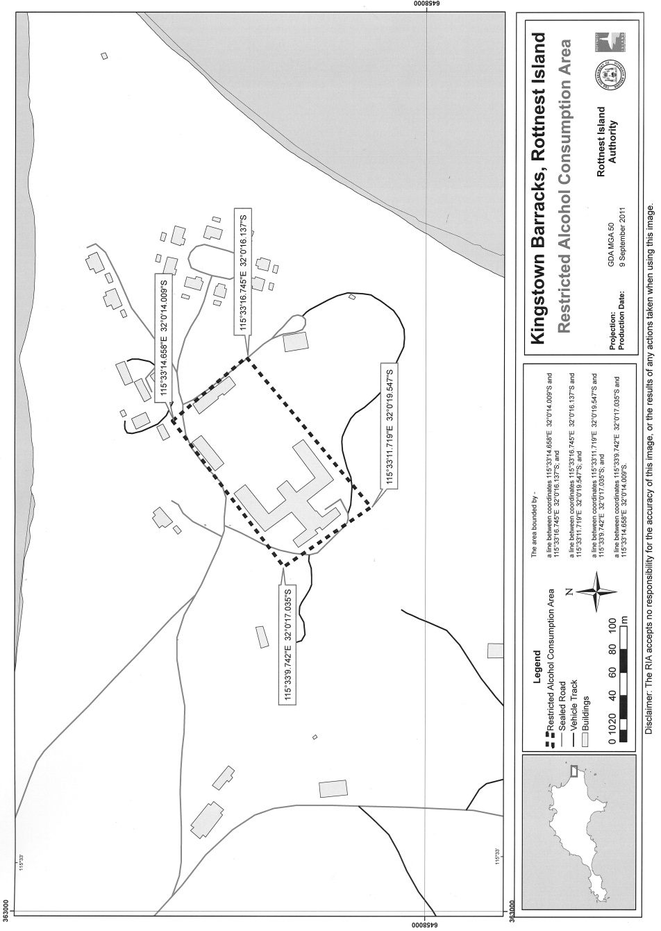
72.Liquor not to be consumed at Kingstown Barracks67
72AA.Ranger may direct person to stop activity67
Part 8 — Miscellaneous
72A.Adequate insurance cover, specification of69
73.Infringement notices70
74.Abandoned or dangerous property, removal of70
74A.False information71
74B.Offences relating to stickers and documents issued by Authority72
74C.Offences relating to documents issued by mooring site licensee72
75.Repeal and transitional provisions72
Schedule 1 — Forms
Schedule 2
Part A — Water catchment area
Part B — Waste‑water treatment facility
Schedule 3
Rottnest aerodrome
Schedule 4A — Kingstown Barracks Restricted Alcohol Consumption Area
Schedule 4 — Offences to which modified penalties apply
Schedule 5 — Annual payment by charter operator
Schedule 6 — Aerodrome usage fees
Schedule 7 — Miscellaneous fees
Part 1 — Admission fees and payments
Part 2 — Mooring licences
Part 3 — Authorised user payment
Schedule 8 — Berthing fee for Main Ferry Jetty
Notes
Compilation table92
Defined Terms
These regulations may be cited as the
These regulations shall come into operation on the day on which the
In these regulations, unless the contrary intention appears —
adequate insurance cover, in relation to a vessel, means adequate insurance cover of a kind specified by notice under regulation 72A(1);
anchor, a vessel, means to secure the vessel to the seabed or a beach by lowering from the vessel to the seabed or beach an anchor that, once lowered, can be taken back on board the vessel;
annual admission payment means the annual payment in lieu of admission fees referred to in regulation 7;
approved means approved by the Authority;
bicycle means any two‑wheeled vehicle that is designed to be propelled solely by human power;
certificate of registration means a certificate of registration issued under the Navigable Waters Regulations 1958 2;
declare and declared mean declare or declared to, and in a manner approved by, the Authority;
length, in relation to a vessel, means —
(a)in the case of a vessel that is registered under the Navigable Waters Regulations 1958 2 —
(i)the length of the vessel specified in the certificate of registration of that vessel; or
(ii)if the Authority is not satisfied as to the accuracy of that registered length, the length determined under paragraph (b);
and
(b)in any other case, the distance from the fore part of the hull to the after part of the hull taken at the upperside of the uppermost weathertight deck or, in the case of an open vessel, at the height of the gunwale;
liquor has the meaning given in the Liquor Control Act 1988 section 3(1);
mooring means any gear (including an anchor, stake, pylon or part of a jetty) set out on the seabed in a permanent manner to which a vessel or other floating structure may be secured by a chain, cable, wire or rope;
mooring area means each of the following —
Porpoise Bay, Thomson Bay, Geordie Bay, Longreach Bay, Catherine Bay, Stark Bay, Narrow Neck and Marjorie Bay;
mooring site means a mooring site recorded in the register;
mooring site licence means a licence granted under regulation 20;
mooring site licensee means a person who holds a mooring site licence;
overall length, in relation to a vessel, means the length of the vessel plus any bow sprit or marlin board;
owner, in relation to a vessel, or aircraft, referred to in regulation 5(3), 6, 7A, 7B, 7C or 7D, includes a charterer, lessee or bailee of the vessel or aircraft;
permanent resident means a person resident on the
(a)any business undertaking authorised by the Authority; or
(b)his employment on the
and includes a dependant of any such person;
register means the register referred to in regulation 25;
rental licence means a licence granted under regulation 15;
rental mooring means a mooring designated by the Authority as a rental mooring;
use in relation to a vehicle includes driving a vehicle and riding or pushing a bicycle;
vehicle has the meaning assigned to it by section 5(1) of the Road Traffic Act 1974;
vessel means any floating object capable of carrying a person but does not include —
(a)surfboards; or
(b)windsurfing boards; or
(c)canoes; or
(d)surfskis; or
(e)other non‑motorized recreational flotations of a similar nature;
waters of the
[Regulation 3 amended in Gazette 30 Dec 1994 p. 7347; 4 Jul 1997 p. 3510‑11; 15 Oct 2010 p. 5176; 17 Dec 2010 p. 6359‑60; 25 Oct 2011 p. 4513.]
4.
(1)Where in these regulations provision is made whereby an act or activity shall not be done or carried on without permission the reference to permission is to the permission of the Authority.
(2)For the purposes of any such provision, the Authority may refuse permission or in the exercise of the power to grant permission may —
(a)grant permission generally or for any specific instance;
(b)grant permission on and subject to such terms and conditions as it thinks fit including provision as to —
(i)the part of the
(ii)the class or description of persons to whom the permission extends; or
(iii)the payment of any fee or charge whether before the act or activity commences or otherwise,
and the Authority may amend or revoke a permission which has been granted.
(3)A permission shall be in writing and shall be obtained before the act is done or the activity is commenced.
(4)Where a permission has been given to a person subject to any condition the permission shall be deemed, in any prosecution against that person, to have lapsed during any period when the condition was not observed or performed according to its tenor by that person.
[Heading inserted in Gazette 29 Jun 2004 p. 2546.]
(1)Subject to subregulation (5), an admission fee set out in Schedule 7 is payable in respect of every person who enters within the limits of the
[(2)deleted]
(3)The admission fee is payable —
(a)in the case of a passenger on a vessel or aircraft in which persons are usually carried for reward, by the owner of the vessel or aircraft in accordance with regulation 6; and
(b)in the case of any other person, by that person as soon as is practicable after he enters within the limits of the
(4)A person referred to in subregulation (3)(b) shall not fail or refuse to pay an admission fee payable by him under this regulation.
Penalty: a fine of $750.
(5)An admission fee is not payable in respect of a person —
(a)who is under 4 years of age; or
(b)who is a member of the Authority; or
(c)who is a permanent resident on the
(d)who is a member of the crew of a vessel or aircraft in which persons are carried to the
(e)who has paid an admission fee and has not returned to the mainland since that payment was made; or
(f)while he is on a vessel or aircraft that enters within the limits of the Island and leaves without being anchored or moored, or in the case of an aircraft without landing.
(6)The Authority may reduce, waive or refund, in whole or in part, an admission fee in circumstances it considers appropriate.
[Regulation 5 amended in Gazette 9 Nov 1990 p. 5589; 14 Jun 1991 p. 2914; 29 Oct 1993 p. 5928; 14 Dec 1993 p. 6667; 4 Jul 1997 p. 3511; 24 Apr 2003 p. 1272; 8 Dec 2009 p. 5002.]
6.Collection of admission fees by transport operators
(1)Subject to regulations 7A, 7B and 7C, the owner of a vessel or aircraft in which persons are carried to the
(a)collect the admission fee provided for by regulation 5, or cause it to be collected, from each passenger who travels in the vessel or aircraft before he enters within the limits of the Island; and
(b)remit the fees so collected to the Authority, together with a return or returns duly completed in such form or forms as the Authority may provide for the purpose —
(i)in the case of a vessel having a passenger capacity of up to 50 persons under the Western Australian Marine Act 1982, not later than 31 August in each year in respect of fees collected during the year that ended on the preceding 30 June; and
(ii)in any other case, no later than 7 days after the last day of each collection period, in respect of fees collected during that collection period.
Penalty: $1 000.
(1a)In subregulation (1)(b)(ii) —
collection period means a period of 7 days commencing on a Wednesday and ending on a Tuesday.
(2)A person shall not pass to another person his ticket for travel to the
Penalty: a fine of $750.
(3)If the owner of a vessel or aircraft fails to remit to the Authority the amount of any admission fees collected or required to be collected by him under subregulation (1), the Authority may recover from him the amount that has not been remitted in a court of competent jurisdiction.
[Regulation 6 amended in Gazette 30 Dec 1994 p. 7347; 24 Apr 2003 p. 1272; 4 Jan 2013 p. 23.]
6A.Audit of
(1)The Authority may cause the accounts and records of admission fees collected by the owner of a vessel or aircraft who is required to remit admission fees under regulation 6(1)(b)(ii) to be audited.
(2)An owner of a vessel or aircraft shall not —
(a)refuse or fail to provide to the Authority, within the time specified by the Authority, accounts and records requested by the Authority for the purpose of an audit under subregulation (1); or
(b)hinder or obstruct the Authority in the conduct of an audit under subregulation (1).
Penalty: $1 000.
[Regulation 6A inserted in Gazette 24 Apr 2003 p. 1272.]
7.Annual fee
(1)Where —
(a)in respect of any vessel or aircraft (not being a vessel or aircraft in which persons are usually carried for reward) the relevant payment set out in Schedule 7 is paid in respect of any year, or part of a year, ending on 31 August following the payment; and
(b)an adhesive sticker issued by the Authority on receipt of that amount is exhibited on that vessel or aircraft in such a position as to be clearly visible from the exterior,
a person who is carried to the
(2)A person who is in charge of the vessel or aircraft must ensure that the adhesive sticker is exhibited on the vessel or aircraft in accordance with subregulation (1)(b) while the vessel is moored within the limits of, or the aircraft is landed at, the
Penalty: a fine of $750.
[Regulation 7 inserted in Gazette 4 Jul 1997 p. 3511; amended in Gazette 17 Dec 2010 p. 6360.]
7A.Annual payment by charter operators in lieu of admission fees
(1)If —
(a)the owner of a vessel in which persons are carried to the
(i)in advance of and in respect of a financial year; and
(ii)for the number of visits declared by the owner to be made by the vessel to the
and
(b)an adhesive sticker issued by the Authority on receipt of the annual payment is exhibited on the vessel in such a position as to be clearly visible from the exterior,
a person who is carried to the Island on the vessel during that financial year for the sole purpose of participating in recreational fishing, or recreational diving, from that vessel shall be deemed to have paid the admission fee prescribed by regulation 5.
(2)At the time when the owner of a vessel makes a declaration of the number of visits to be made to the Island under subregulation (1)(a)(ii), the owner shall also declare the number of visits, if any, made by the vessel to the
(3)If the number of visits made by a vessel to the Island during the previous financial year is different from the number declared by the owner in respect of that financial year, the Authority may make an appropriate adjustment to the annual payment that the owner is required to pay under subregulation (1)(a).
(4)A person who is in charge of the vessel must ensure that the adhesive sticker is exhibited on the vessel in accordance with subregulation (1)(b) while the vessel is moored within the limits of the
Penalty: a fine of $750.
[Regulation 7A inserted in Gazette 14 Dec 1993 p. 6667‑8; amended in Gazette 30 Dec 1994 p. 7347; 17 Dec 2010 p. 6360; 4 Mar 2011 p. 701.]
(1)Subject to regulations 7C and 7D, the owner of an aircraft in which persons are carried to the Island shall pay to the Authority, for each occasion when the aircraft lands at the
(2)If the owner of an aircraft pays the applicable aerodrome usage fee under subregulation (1) or annual payment under regulation 7C, a person who is carried to the
[Regulation 7B inserted in Gazette 30 Dec 1994 p. 7348; amended in Gazette 29 Jul 2011 p. 3144.]
7C.Annual payment in lieu of aerodrome usage fees
(1)Subject to regulation 7D, the owner of an aircraft in which persons are carried to the Island may pay to the Authority, instead of the aerodrome usage fee referred to in regulation 7B for each occasion when the aircraft lands at the Island, an annual payment —
(a)in advance of and in respect of a financial year; and
(b)calculated by multiplying the amount set out in Schedule 6 item 2 by the number of visits declared by the owner to be made by the aircraft to the
(2)At the time when the owner of an aircraft makes a declaration of the number of visits to be made by the aircraft to the Island during a financial year, the owner shall also declare the number of visits, if any, made by the aircraft to the
(3)If the number of visits made by an aircraft to the
[Regulation 7C inserted in Gazette 30 Dec 1994 p. 7348; amended in Gazette 29 Jul 2011 p. 3144.]
(1)Regulations 7B and 7C do not apply —
(a)in respect of an aircraft operated as part of a regular passenger transport service to the
(b)in respect of an aircraft, operated by an approved charter operator, in which persons are carried for reward from, and returned to, the Island without the aircraft having landed outside the limits of the
(2)The aerodrome usage fee, if any, payable by the owner of an aircraft referred to in subregulation (1) that lands at the Island is as determined from time to time by the Authority.
[Regulation 7D inserted in Gazette 30 Dec 1994 p. 7348; amended in Gazette 4 Jul 1997 p. 3512.]
7E.Main Ferry Jetty berthing fee
(1)The owner of a vessel shall before berthing that vessel at the Main Ferry Jetty at
(2)A person referred to in subregulation (1) who fails or refuses to pay a berthing fee payable by him under that subregulation commits an offence.
Penalty: $1 000.
[Regulation 7E inserted in Gazette 29 Jun 2004 p. 2546.]
8.Licence to occupy
(1)The Authority may grant to a person a licence to occupy specified accommodation on the
(2)The rent payable for a licence to occupy accommodation during any period shall be calculated at such rate as the Authority may from time to time determine for the occupation of that accommodation during that period.
(3)A licence under subregulation (1) —
(a)may be granted subject to such conditions as the Authority thinks fit; and
(b)is not transferable and shall not vest by operation of law in any other person.
(4)The Authority may, by notice in writing served on the licensee, forthwith cancel a licence if it is satisfied on reasonable grounds that the licensee has —
(a)failed to comply with a condition of the licence; or
(b)committed an offence against the Act or these regulations,
or has permitted or suffered some other person to do any of those things.
(5)The rent paid for a licence that is cancelled under subregulation (4) is not refundable, in whole or in part.
(6)Part VII of the Property Law Act 1969 does not apply to a licence granted under this regulation.
(7)In this regulation and in regulations 9 and 10 accommodation includes a camping site in the camping ground on the
(1)A person shall not take up casual residence within the limits of the
(a)as the guest of a permanent resident; or
(b)as a guest at the Rottnest Lodge Resort or the Rottnest Island Hotel; or
(c)in accommodation specified in a licence granted to him under regulation 8; or
(d)with the consent of that other person, in accommodation specified in a licence granted under regulation 8 to some other person; or
(e)in a vessel that —
(i)is anchored; or
(ii)is secured to a rental mooring, or a mooring on a mooring site, and is authorised to be so secured under Division 2 or 3 of Part 4.
Penalty: $1 000.
(2)For the purposes of this regulation, a person, not being a permanent resident, is deemed to have taken up casual residence within the limits of the
[Regulation 9 amended in Gazette 4 Jul 1997 p. 3512.]
10.
(1)Without limiting regulation 8(3)(a) it is condition of every licence granted under that regulation that the licensee —
(a)shall keep the accommodation and its surrounds in a reasonable state of cleanliness; and
(b)shall notify the Authority as soon as is practicable of any damage to the accommodation or its surrounds; and
(c)shall not intentionally or negligently cause or permit damage to the accommodation or its surrounds.
(2)In this regulation accommodation includes chattels provided with the accommodation.
[Heading inserted in Gazette 4 Jul 1997 p. 3512.]
Division 1 — General control provisions
[Heading inserted in Gazette 4 Jul 1997 p. 3512.]
11.Installing and using moorings
(1)A person shall not without permission —
(a)install a mooring for a vessel in the waters of the
(b)secure a vessel, or allow it to remain secured, to a mooring that is installed without such permission.
Penalty: $1 000.
(2)A person shall not secure a vessel, or allow it to remain secured, to a mooring in the waters of the
(a)the vessel is authorised under Division 2 or 3 to be secured to that mooring; and
(b)the vessel exhibits, so that it is clearly visible from the exterior of the vessel —
(i)an adhesive sticker issued for that vessel under Division 3; or
(ii)a rental licence specifying that vessel.
Penalty: a fine of $750.
(3)A person shall not secure a vessel, or allow it to remain secured, to —
(a)a mooring to which a vessel is already secured; or
(b)a vessel that is secured to a mooring.
Penalty: a fine of $750.
(4)Subregulation (3) does not apply so as to prohibit a vessel with an overall length of up to 3.75 m from being secured to another vessel.
[Regulation 11 inserted in Gazette 4 Jul 1997 p. 3512‑13; amended in Gazette 8 Dec 2009 p. 5002.]
(1)A person shall not anchor a vessel, or allow it to remain anchored, unless the vessel lies in a position where —
(a)no part of the vessel, or a vessel attached to it, is closer than 50 m to any mooring; and
(b)the vessel, or a vessel attached to it, does not obstruct or interfere with access to a mooring.
Penalty: a fine of $750.
(2)Subregulation (1) does not apply in respect of a vessel that is required to anchor contrary to that subregulation to avoid or mitigate danger to human life or significant damage to property.
[Regulation 12 inserted in Gazette 4 Jul 1997 p. 3513; amended in Gazette 8 Dec 2009 p. 5002.]
13A.Securing vessel by means of another vessel’s anchor
(1)A person must not secure a vessel, or allow it to remain secured, to an anchor lowered from another vessel.
Penalty: a fine of $750.
(2)Subsection (1) applies whether or not the anchor is still attached to the vessel from which it was lowered.
(3)Subregulation (1) does not apply in respect of a vessel that is secured to a mooring comprising an anchor.
[Regulation 13A inserted in Gazette 25 Oct 2011 p. 4513.]
13.
(1)A person shall not anchor a vessel or secure it to a mooring, or allow it to remain so anchored or secured, unless a competent operator of the vessel —
(a)is within the limits of the
(b)if the vessel remains so anchored or secured overnight, resides on the vessel or in casual residence on the
Penalty: a fine of $750.
(2)In subregulation (1) —
competent operator, in relation to a vessel, means an individual who —
(a)is over 18 years of age; and
(b)is capable of operating the vessel; and
(c)has responsibility for the vessel.
[Regulation 13 inserted in Gazette 4 Jul 1997 p. 3513; amended in Gazette 4 Jan 2013 p. 23.]
14.Application of r. 11, 12 and 13 to person on vessel
For the purposes of regulations 11, 12 and 13, a person who is on a vessel that is anchored, or secured to a mooring, is taken to allow it to remain so secured or anchored unless the person shows to the satisfaction of the Authority that —
(a)the person does not have responsibility for the vessel; and
(b)another person is properly responsible for the vessel.
[Regulation 14 inserted in Gazette 4 Jul 1997 p. 3513; amended in Gazette 19 Jun 1998 p. 3302.]
[Heading inserted in Gazette 4 Jul 1997 p. 3513.]
15.Licence to occupy rental mooring
(1)The Authority may, on application under subregulation (2), grant to the applicant a licence for the use of a specified rental mooring by a specified vessel for a specified period.
(2)An application shall be —
(a)made by an individual over the age of 18 years; and
(b)in an approved form that is duly completed.
(3)A rental licence may be granted on such conditions as the Authority thinks fit.
(4)A vessel is authorised to be secured to a rental mooring during any period if a rental licence for the use of that particular rental mooring by that vessel for that period is of effect.
(5)A rental licence is not transferable.
(6)In subregulation (1) —
specified means specified in the licence.
[Regulation 15 inserted in Gazette 4 Jul 1997 p. 3513‑14.]
(1)The rent payable for a rental licence during any period shall be calculated at such rate as the Authority may determine for use of that rental mooring during that period.
(2)If a licensee cancels a rental licence before the rental period specified in the licence has commenced, the Authority —
(a)may retain from the rent as a cancellation fee —
(i)$15 if the cancellation is more than 48 hours before the notice period specified in the licence; and
(ii)50% of the rent if the cancellation is less than 48 hours before the notice period specified in the licence;
and
(b)shall refund or credit to the licensee the balance of the rent.
(3)No rent is refundable or to be credited in respect of a licence cancelled under regulation 17 or cancelled after the rental period specified in the licence has commenced.
[Regulation 16 inserted in Gazette 4 Jul 1997 p. 3514.]
17.Cancellation of
The Authority may, by written notice given to the licensee, cancel a rental licence if it is satisfied on reasonable grounds that the licensee has —
(a)failed to comply with a condition of the licence; or
(b)committed an offence under the Act or these regulations,
or caused or permitted another person to do any of those things.
[Regulation 17 inserted in Gazette 4 Jul 1997 p. 3514.]
(1)If a rental mooring is damaged or destroyed (the loss) during the period of a rental licence granted in respect of that rental mooring, the cost of repair or replacement is a debt due to the Authority by the licensee and is recoverable in a court of competent jurisdiction unless the licensee can show that —
(a)the loss was caused by the act or omission of some other person; and
(b)the licensee could not have prevented the loss by the exercise of reasonable care.
(2)For the purposes of subregulation (1), the loss is taken to have occurred during the period of the licence if —
(a)the mooring is found to be damaged or destroyed at the end of the rental period specified in the licence; and
(b)the licensee did not report the loss to the Authority at the commencement of the rental period.
[Regulation 18 inserted in Gazette 4 Jul 1997 p. 3514‑15.]
Division 3 — Mooring site licences
[Heading inserted in Gazette 4 Jul 1997 p. 3515.]
In this Division, unless the contrary intention appears —
additional vessel means a vessel authorised to be secured to a mooring under regulation 27;
authorised user, in relation to a mooring site, means a person who is recorded in the register under regulation 31B(5) or 31C(4) as an authorised user of the mooring site;
authorised vessel, in relation to a mooring site, means a vessel recorded in the register under regulation 31B(5) or 31C(4) as the authorised vessel for an authorised user of the mooring site;
licensed vessel means a vessel authorised to be secured to a mooring under regulation 26;
mooring inspection report means a report by a mooring contractor that —
(a)is in an approved form; and
(b)certifies that a mooring on a mooring site inspected —
(i)complies with the approved mooring specifications; and
(ii)is suitable for the use of a vessel with specifications up to and including the specifications of the longest vessel registered, or proposed to be registered, in respect of that mooring site as a licensed vessel, additional vessel or authorised vessel, at the date of the mooring inspection report;
and
(c)is less than 12 months old;
suitable vessel means a vessel which —
(a)has a length of at least 6.4 m; and
(b)is a sailing vessel or has its own form of self propulsion capable of achieving a speed of 5 knots; and
(c)has adequate insurance cover;
waiting list means the waiting list referred to in regulation 21(1)(a).
[Regulation 19 inserted in Gazette 4 Jul 1997 p. 3515; amended in Gazette 7 Dec 2001 p. 6188; 4 Dec 2009 p. 4921 and 4924.]
20.
(1)Subject to section 13(3) of the Act and regulation 22, the Authority may, on application under subregulation (3), grant to the applicant a licence to occupy a specified mooring site.
(2)A mooring site licence may be granted on such conditions as the Authority thinks fit.
(3)An application shall —
(a)be in an approved form that is duly completed; and
(b)be made by a person —
(i)whose principal place of residence is in the State; and
(ii)whose name appears on an electoral roll as an elector under the Electoral Act 1907; and
(iii)who is named on the certificate of registration of the vessel nominated under paragraph (d) as the owner of that vessel, or who produces evidence of ownership satisfactory to the Authority; and
(iv)who is the owner of at least 25% of the net worth of the vessel nominated under paragraph (d); and
(v)who does not already have an application recorded on the waiting list; and
(vi)who does not hold another mooring site licence;
and
(c)be accompanied by the application fee set out in Schedule 7; and
(d)nominate a suitable vessel which has not been nominated under any other application recorded on a waiting list and is not a licensed vessel or an additional vessel for any other mooring site; and
(e)nominate a mooring area.
(4)The applicant shall supply such further information as the Authority may require.
(5)An applicant may by written notice to the Authority amend any part of the application other than —
(a)the date of the application; and
(b)the name of the applicant; and
(c)the nominated mooring area.
(6)If an application is withdrawn or amended, or the applicant’s name is removed from the waiting list under subregulation (9) or (10), the Authority is not required to refund the application fee or any part of it.
(7)The applicant shall give written notice to the Authority of any alteration to the particulars provided by the applicant in the application as soon as it is practicable to do so.
Penalty: $300.
(8)If the applicant’s interest in a vessel nominated in the application is sold or disposed of, the applicant —
(a)shall give written notice to the Authority of the sale or disposal, and the date of the sale or disposal, as soon as is practicable after that date; and
(b)may, by written notice given to the Authority, nominate another suitable vessel for the purposes of subregulation (3)(d) —
(i)in respect of which the applicant is named on the certificate of registration as the owner or in respect of which the applicant produces evidence of ownership satisfactory to the Authority; and
(ii)of which the applicant is the owner of at least 25% of the net worth.
Penalty applicable to paragraph (a): $300.
(9)If an applicant who has given notice of the date of a sale or disposal under subregulation (8) does not nominate a vessel under subregulation (8)(b) within 6 months of that date, the Authority may remove the applicant’s name from the waiting list without further notice.
(10)The Authority may —
(a)at any time by written notice require an applicant to confirm or update the particulars provided by the applicant in an application or to provide further particulars; and
(b)if an applicant fails to respond to a notice given to the applicant under paragraph (a) within the time specified in the notice, remove the applicant’s name from the waiting list without further notice; and
(c)if the Authority is satisfied that an applicant listed on a waiting list, or a vessel nominated by that applicant, no longer meets the requirements of subregulation (3)(b) or (d), give notice to that effect to the applicant and remove the applicant’s name from the waiting list.
(11)To the extent permitted by law, Part VII of the Property Law Act 1969 does not apply to a mooring site licence.
[Regulation 20 inserted in Gazette 4 Jul 1997 p. 3515‑17; amended in Gazette 19 Jun 1998 p. 3302.]
21.Waiting lists of applicants
(1)The Authority shall —
(a)maintain a waiting list specifying the particulars of applicants for mooring site licences in each mooring area; and
(b)on receipt of an application for a mooring site licence in a mooring area, place the applicant at the end of the waiting list for that mooring area.
(2)A copy of —
(a)each waiting list; and
(b)a list setting out the name of every applicant for a mooring site licence and the date of the application,
shall be kept at the office of the Authority.
(3)The Authority shall, on written request by an applicant, provide that applicant with a copy of his or her application particulars as set out in a waiting list.
(4)The list referred to in subregulation (2)(b) shall be available for inspection by the public during office hours free of charge.
[Regulation 21 inserted in Gazette 4 Jul 1997 p. 3517.]
22.Offer and acceptance of licence
(1)If the Authority is satisfied that a mooring site is available for allocation in a mooring area the Authority shall, by written notice —
(a)offer a mooring site licence in respect of the mooring site to the first applicant recorded at the time on the waiting list for that mooring area as having made an application that, having regard to the specifications of the vessel in the application, is appropriate for that mooring site; and
(b)give the applicant contact details of the previous licensee of the mooring site to allow the applicant, if he or she so wishes, to negotiate with that licensee for the purchase of the mooring on the mooring site to which the licence relates.
(2)The Authority shall send the notice to the address specified in the application.
(3)When accepting an offer, the applicant shall —
(a)give the Authority written notice as to whether the applicant has, or has not, reached an agreement with the previous licensee to acquire the mooring; and
(b)pay to the Authority —
(i)the annual mooring site licence fee set out in Schedule 7; and
(ii)the annual admission payment in respect of the vessel to be licensed.
(4)When —
(a)the Authority is notified of acceptance of an offer; and
(b)the prescribed payments are made under subregulation (3); and
(c)the Authority has received evidence satisfactory to the Authority that the applicant has acquired the mooring on the mooring site or that the applicant does not intend to acquire the mooring; and
(d)if the applicant has acquired the mooring, the Authority has received a mooring inspection report in respect of the mooring,
the Authority shall grant the mooring site licence to the applicant.
(5)If, for any reason —
(a)the applicant does not accept the offer in accordance with its terms within 14 days of receiving notice of the offer, or such further time as the Authority may by written notice allow; or
(b)the applicant accepts the offer under paragraph (a) but the evidence referred to in subregulation (4)(c) and, if required, the mooring inspection report referred to in subregulation (4)(d) are not provided to the Authority within 28 days of receiving notice of the offer, or such further time as the Authority may by written notice allow,
then —
(c)the offer lapses; and
(d)the Authority shall remove the name of the applicant from the waiting list; and
(e)the Authority may make the offer to another applicant.
(6)Nothing in subregulation (5) prevents an applicant from making a further application for a mooring site licence.
[Regulation 22 inserted in Gazette 4 Jul 1997 p. 3517‑18; amended in Gazette 19 Jun 1998 p. 3303; 7 Dec 2001 p. 6188.]
23.Authority not obliged to offer licence
Nothing in these regulations imposes an obligation on the Authority to offer a mooring site licence in respect of a mooring site, and the Authority may deal with a mooring site in respect of which there is no licence in force as it thinks fit.
[Regulation 23 inserted in Gazette 4 Jul 1997 p. 3518.]
24.
(1)When a mooring site licence is granted, the Authority shall issue a licence to the licensee.
(2)The licence shall specify —
(a)the licence number of the mooring site; and
(b)the full name of the licensee; and
(c)the name and registration number (if any) under the Navigable Waters Regulations 1958 2 of the licensed vessel; and
(d)such other particulars as the Authority determines.
[Regulation 24 inserted in Gazette 4 Jul 1997 p. 3519.]
(1)The Authority shall cause to be kept a register of mooring sites in such manner and form as the Authority determines.
(2)The register shall specify in respect of each mooring site —
(a)its location and number; and
(b)the particulars of the mooring site licensee (if any), including the full name, address, contact telephone numbers, date of birth and the particulars of the person nominated by the licensee to be contacted in an emergency; and
(c)the particulars of the licensed vessel (if any) and any additional vessel, including any name of the vessel, any registration number under the Navigable Waters Regulations 1958 2, the owner or owners of the vessel, the length and overall length of the vessel, the weight in metric tonnes, the draft, the vessel type, the name of the vessel’s insurers and the percentage of the licensee’s interest in the net worth of the vessel; and
(d)the date of the last mooring inspection report provided to the Authority for the mooring site; and
(e)the particulars of any authorised users and authorised vessels for the site.
(3)The mooring site licensee must give the Authority written notice of any alteration to the particulars referred to in subregulation (2)(b), (c) and (d) as soon as it is practicable to do so.
Penalty: $300.
(4)The Authority shall, on written request by a mooring site licensee, provide that licensee with a copy of particulars of that mooring site as set out in the register.
(5)A list setting out the number of every mooring site and the name of the mooring site licensee for that mooring site, shall be —
(a)kept at the office of the Authority; and
(b)available for inspection by the public during office hours free of charge.
[Regulation 25 inserted in Gazette 4 Jul 1997 p. 3519; amended in Gazette 7 Dec 2001 p. 6188; 4 Dec 2009 p. 4924.]
26.Licensed vessels
(1)A vessel is authorised to be secured to a mooring on a mooring site if it is recorded in the register, and on the mooring site licence, as the licensed vessel for that mooring site.
(2)Only one vessel shall be recorded as a licensed vessel for any mooring site.
(3)The Authority shall issue to each mooring site licensee an adhesive sticker designed to identify the licensed vessel for that mooring site.
(4A)The Authority may issue to a mooring site licensee a replacement adhesive sticker if —
(a)the Authority is satisfied that the adhesive sticker issued to a mooring site licensee under subregulation (3) has been lost, damaged or destroyed; and
(b)the mooring site licensee has paid the fee for the replacement of a lost mooring sticker set out in Schedule 7 item 7A.
(4)A mooring site licensee may, by written notice to the Authority, request the Authority to —
(a)delete the particulars of the licensed vessel from the register and licence; and
(b)substitute as a licensed vessel in the register and on the licence another suitable vessel nominated by the mooring site licensee —
(i)which is not a licensed vessel, an additional vessel for any other mooring site or a vessel nominated under any application recorded on a waiting list; and
(ii)in respect of which the licensee is named on the certificate of registration as the owner, or in respect of which the licensee has produced evidence of ownership satisfactory to the Authority; and
(iii)of which the licensee is the owner of at least 25% of the net worth.
(5)A notice referred to in subregulation (4) shall be accompanied by —
(a)the mooring site licence; and
(b)the sticker issued in respect of the licensed vessel; and
(c)full particulars of the nominated vessel; and
(d)certificates of insurance showing that the nominated vessel has adequate insurance cover; and
(e)if the nominated vessel has a length that is more than that of the longest vessel specified in the last mooring inspection report for the mooring, a fresh mooring inspection report certifying that the mooring is suitable for the use of a vessel up to and including the specifications of the nominated vessel.
(6)A mooring site licensee who sells or otherwise disposes of his or her interest in a licensed vessel —
(a)shall give written notice of the sale or disposal, and the date of the sale or disposal, to the Authority as soon as is practicable after the sale or disposal; and
(b)may, within 6 months of the date of the sale or disposal, by written notice request the Authority to substitute as a licensed vessel in the register and on the licence another suitable vessel nominated by the licensee —
(i)in respect of which the licensee is named on the certificate of registration as the owner, or in respect of which the owner has produced evidence of ownership satisfactory to the Authority; and
(ii)of which the licensee is the owner of at least 25% of the net worth.
Penalty applicable to paragraph (a): $300.
(7)A notice referred to in subregulation (6)(a) shall be accompanied by —
(a)the mooring site licence; and
(b)the sticker issued in respect of the licensed vessel.
(8)A request referred to in subregulation (6)(b) shall be accompanied by —
(a)full particulars of the nominated vessel; and
(b)certificates of insurance showing that the nominated vessel has adequate insurance cover; and
(c)if the nominated vessel has a length that is more than that of the longest vessel specified in the last mooring inspection report for the mooring, a fresh mooring inspection report certifying that the mooring is suitable for the use of a vessel up to and including the specifications of the nominated vessel.
(9)If a notice is given in accordance with subregulations (4) and (5), or subregulations (6)(b) and (8), the Authority shall amend the licence and register as requested.
(10)A mooring site licensee shall maintain any mooring on the mooring site, irrespective of whether or not there is a licensed vessel recorded on the register for that mooring site.
[Regulation 26 inserted in Gazette 4 Jul 1997 p. 3519‑21; amended in Gazette 29 Jul 2011 p. 3145.]
27.Additional vessels
(1)A mooring site licensee may, by written notice given to the Authority, nominate vessels other than the licensed vessel to use the mooring site if —
(a)the mooring site licensee is named on the certificate of registration of each nominated vessel as the owner of that vessel, or produces evidence of ownership satisfactory to the Authority; and
(b)each nominated vessel has adequate insurance cover.
(2)A vessel is authorised to be secured to a mooring on a mooring site if it is recorded in the register as being an additional vessel in respect of that mooring site.
(3)A notice under subregulation (1) shall be accompanied by —
(a)the annual admission payment in respect of the nominated vessel; and
(b)a copy of the nominated vessel’s certificate of registration or, if the vessel does not have a certificate of registration, evidence of ownership of the vessel; and
(c)a copy of insurance certificates showing that the nominated vessel has adequate insurance cover; and
(d)if the nominated vessel has a length that is more than that of the longest vessel specified in the last mooring inspection report for the mooring, a fresh mooring inspection report certifying that the mooring is suitable for the use of a vessel up to and including the specifications of the nominated vessel.
(4)If a notice is given in accordance with subregulations (1) and (3), the Authority shall —
(a)enter the details of the nominated vessel in the register; and
(b)issue to the mooring site licensee an adhesive sticker designed to identify the additional vessel as being so registered.
(5)A mooring site licensee may, by written notice to the Authority accompanied by the relevant adhesive sticker, request the Authority to delete the particulars of an additional vessel from the register.
(6)If particulars of an additional vessel are removed from the register pursuant to a request under subregulation (5), the Authority is not required to refund the annual admission payment or any portion of it.
(7)A mooring site licensee may have more than one additional vessel registered in respect of a mooring site at any time.
[Regulation 27 inserted in Gazette 4 Jul 1997 p. 3521‑2.]
28.Mooring
(1)A mooring site licensee shall ensure that any mooring on the mooring site of the licensee complies at all times with the approved mooring specifications.
Penalty: a fine of $750.
(2)A mooring site licensee is responsible for any cost incurred by the mooring site licensee in ensuring that the mooring complies with the mooring specifications.
(3)A mooring site licensee shall at all times have a mooring inspection report in respect of a mooring on the mooring site of the licensee.
Penalty: a fine of $750.
(4)A mooring site licensee shall give to the Authority a copy of any mooring site inspection report made for the licensee within 7 days of receiving the report.
Penalty: a fine of $750.
(5)A mooring site licensee shall not use a mooring on the mooring site of the licensee, or cause or permit the mooring to be used, unless a mooring inspection report in respect of the mooring has been provided to the Authority.
Penalty: a fine of $750.
[Regulation 28 inserted in Gazette 4 Jul 1997 p. 3522; amended in Gazette 8 Dec 2009 p. 5003; 17 Dec 2010 p. 6360.]
28A.Authority may reject mooring inspection report
(1)The Authority may reject a mooring inspection report provided to the Authority by any person under these regulations, and require that person to provide another mooring inspection report.
(2)A mooring inspection report that is rejected by the Authority is to be taken not to have been provided to the Authority for the purposes of these regulations.
[Regulation 28A inserted in Gazette 7 Dec 2001 p. 6189.]
29.Unattended vessels
(1)A person shall not, without permission, cause or permit an unattended vessel to remain secured to a mooring on a mooring site for a period of longer than 24 hours.
(2)The Authority may, if it is satisfied that a person has contravened subregulation (1), by written notice served on the mooring site licensee or, if the vessel is an authorised vessel, the authorised user, direct that the vessel be removed from the mooring within the period specified in the notice.
(3)A person on whom a notice is served under subregulation (2) shall comply with the notice.
Penalty: a fine of $750.
(4)If a notice served under subregulation (3) is not complied with, the Authority may take possession of the vessel and deal with it as if it were abandoned, and for that purpose the notice given under subregulation (3) is taken to be a notice given under regulation 74(2)(b).
[Regulation 29 inserted in Gazette 4 Jul 1997 p. 3522; amended in Gazette 4 Dec 2009 p. 4924; 8 Dec 2009 p. 5003.]
30.
(1)A mooring site licence is a licence to occupy the mooring site specified in the licence and does not apply in respect of the mooring on that mooring site.
(2)Rights conferred on a mooring site licensee under these regulations are not assignable and shall not pass by will or on intestacy or vest by operation of law in any person.
(3)Nothing in subregulation (2) prohibits the sale or disposal, in accordance with these regulations, of a mooring.
(4)Subject to subregulation (8), if a mooring site licence ceases to have effect, the person who was the mooring site licensee immediately before the licence ceased to have effect (or, if that person has died, his or her personal representative) (the previous licensee) shall —
(a)remove the mooring; or
(b)dispose of the mooring to the person to whom the Authority has offered the mooring site licence.
Penalty: a fine of $750.
(5)The Authority may, by written notice given to the previous licensee, direct the previous licensee to comply with subregulation (4) within a time specified in the notice.
(6)If a previous licensee does not comply with a direction given under subregulation (5), the Authority may take possession of the mooring and deal with it as if it were abandoned.
(7)If the Authority determines on reasonable grounds that removing a mooring on a mooring site, or any part of the mooring, will have an adverse effect on the environment, the Authority may, by written notice given to the owner of the mooring and, if that person is not the owner, the mooring site licensee —
(a)notify those persons that the mooring, or any part of the mooring, may not be removed; and
(b)take possession of the mooring.
(8)A mooring site licensee or owner of a mooring shall not remove, or cause to be removed, a mooring, or a part of a mooring, in respect of which a notice has been issued under subregulation (7).
Penalty: a fine of $750.
(9)No compensation is payable in respect of a mooring that is the subject of a notice under subregulation (7).
(10)The Authority may, by written notice given to both mooring site licensees, approve the exchange of mooring sites between mooring site licensees if —
(a)the mooring sites are within the same mooring area; and
(ba)both mooring site licensees have paid the mooring exchange fee set out in Schedule 7 item 7B; and
(b)both mooring site licensees have complied with the directions of the Authority in respect of the exchange.
(11)If the Authority approves the exchange of mooring sites under subregulation (10), it shall cause the register to be amended accordingly.
[Regulation 30 inserted in Gazette 4 Jul 1997 p. 3522‑3; amended in Gazette 8 Dec 2009 p. 5003; 29 Jul 2011 p. 3145.]
31A.Authorised user may use mooring site with licensee’s consent
(1)A person other than a mooring site licensee may occupy a mooring site at a particular time if the person —
(a)is an authorised user of that mooring site; and
(b)has obtained the consent of the mooring site licensee to occupy the site at that time.
(2)A vessel is authorised to be secured to a mooring on a mooring site if it is an authorised vessel for that mooring site.
[Regulation 31A inserted in Gazette 4 Dec 2009 p. 4921.]
31B.How licensee authorises person to be authorised user of mooring site
(1)A mooring site licensee may, in the approved form, authorise a person to be an authorised user of the licensee’s mooring site.
(2)The authorisation must specify a vessel that is to be the authorised user’s authorised vessel for the mooring site (the nominated vessel), which vessel must comply with subregulation (4).
(3)The authorised person must give the completed authorisation form, signed by the licensee and authorised user, to the Authority together with —
(a)payment of —
(i)the annual admission payment; and
(ii)the annual authorised user payment set out in Schedule 7,
in respect of the nominated vessel for the year in which the authorisation is to take effect; and
(b)if the nominated vessel has a length that is more than that of the longest vessel specified in the last mooring inspection report for the mooring — a mooring inspection report certifying that the mooring is suitable for the use of a vessel up to and including the specifications of the nominated vessel.
(4)A vessel complies with this subregulation if —
(a)the authorised person —
(i)is named on the certificate of registration of the vessel as the owner of that vessel; or
(ii)produces other evidence of ownership of the vessel satisfactory to the Authority;
and
(b)the vessel has adequate insurance cover.
(5)On receipt of an authorisation form from a person in accordance with this regulation the Authority may record in the register —
(a)the person as an authorised user of the mooring site; and
(b)the nominated vessel as the person’s authorised vessel for the mooring site,
and if it does so must issue to the person an adhesive sticker identifying the vessel as the person’s authorised vessel for that site.
[Regulation 31B inserted in Gazette 4 Dec 2009 p. 4921‑2.]
31C.How Authority authorises person to be authorised user of mooring site
(1)The Authority may, by written notice, authorise a person to be an authorised user of a mooring site.
(2)The Authority must give a copy of the notice to the mooring site licensee.
(3)The Authority must not authorise a person under subregulation (1) unless the person —
(a)has nominated a vessel that is to be the person’s authorised vessel for the mooring site (the nominated vessel), which vessel must comply with regulation 31B(4); and
(b)has given to the Authority the payments and any documents required by regulation 31B(3) to be given with an authorisation form under that regulation.
(4)When it authorises a person under subregulation (1) the Authority must —
(a)record in the register —
(i)the person as an authorised user of the mooring site; and
(ii)the nominated vessel as the person’s authorised vessel for the mooring site;
and
(b)issue to the person an adhesive sticker identifying the vessel as the person’s authorised vessel for that site.
[Regulation 31C inserted in Gazette 4 Dec 2009 p. 4922‑3.]
31D.Changing authorised user’s authorised vessel
(1)The Authority may, at the request of an authorised user of a mooring site, amend the register to change the person’s authorised vessel for that site to another vessel that complies with regulation 31B(4).
(2)The Authority must issue to the person an adhesive sticker identifying the replacement vessel as the person’s authorised vessel for that site.
[Regulation 31D inserted in Gazette 4 Dec 2009 p. 4923.]
31E.Annual payments by authorised users
(1)An authorised user must pay to the Authority in respect of the person’s authorised vessel —
(a)the annual admission payment; and
(b)the annual authorised user payment set out in Schedule 7.
(2)The fees payable under subregulation (1) —
(a)are payable for each year commencing on 1 September; and
(b)must be paid before the commencement of that year.
[Regulation 31E inserted in Gazette 4 Dec 2009 p. 4923.]
31F.Revoking etc. authorisation given under r. 31B or 31C
(1)An authorisation given by a mooring site licensee under regulation 31B —
(a)may be revoked by the licensee by written notice given to the Authority;
(b)may be cancelled by the Authority if the authorised user —
(i)fails to make a payment required by regulation 31E; or
(ii)fails to comply with a direction under regulation 34(4);
(c)expires if the mooring site licence for the site ceases to have effect.
(2)An authorisation given by the Authority under regulation 31C —
(a)may be revoked by the Authority by written notice to the authorised user;
(b)expires if the licensee’s mooring site licence ceases to have effect.
(3)If an authorised user’s authorisation is revoked, cancelled or expires the Authority —
(a)must give written notice of that fact to the authorised user and mooring site licensee; and
(b)delete the authorised user from the register.
(4)If an authorised person is deleted from the register, the Authority is not required to refund any annual admission payment or authorised user payment made by the person.
[Regulation 31F inserted in Gazette 4 Dec 2009 p. 4923‑4.]
[31.Deleted in Gazette 4 Dec 2009 p. 4921.]
32.Term of licence
(1)Subject to these regulations, a mooring site licence has effect for a period expiring on 31 August next following the grant of the licence.
(2)A mooring site licence ceases to have effect —
(a)on the death of the mooring site licensee; and
(b)upon receipt by the Authority of a written request from the mooring site licensee that the licence be cancelled; and
(c)upon cancellation of the licence by the Authority under subregulation (3); and
(d)subject to regulation 33, upon the expiration of the licence.
(3)The Authority may, by written notice served on a mooring site licensee, cancel or refuse to renew the mooring site licence of the licensee if —
(a)the Authority is satisfied that —
(i)the mooring site licence was obtained by deception or fraud; or
(ii)the mooring site licensee has committed an offence under the Act or these regulations, or caused or permitted another person to do so; or
(iii)the mooring site licensee has failed to comply with a condition of the mooring site licence or caused or permitted another person to do so;
or
(b)the mooring site licensee has given notice under regulation 26(6) of the date of the sale or disposal of a licensed vessel and has not nominated a substitute vessel within 6 months of that date; or
(c)the mooring site licensee has failed to comply with a notice under regulation 34; or
(d)the mooring site licensee —
(i)does not have a mooring inspection report in respect of the mooring on the mooring site; or
(ii)has failed to provide the mooring inspection report to the Authority under regulation 28;
or
(e)the Authority considers that it is in the public interest or in the best interests of good management of the waters of the
(4)If the Authority cancels or refuses to renew a mooring site licence under subregulation (3)(e), the Authority may, despite regulation 22(1)(a), offer under that regulation to the mooring site licensee another mooring site that is available for allocation.
[Regulation 32 inserted in Gazette 4 Jul 1997 p. 3524‑5.]
(1)The Authority may, on application by the licensee for renewal and subject to regulation 32(3), renew a mooring site licence from time to time for a period of 12 months.
(2)A renewal of a licence takes effect from the day next succeeding the day of its expiry.
(3)An application for renewal shall be —
(a)made by the mooring site licensee in the approved form within one month before, or within one month after, the expiry of the licence; and
(b)accompanied by —
(i)the annual mooring site licence fee set out in Schedule 7; and
(ii)the annual admission fee in respect of the licensed vessel and each additional vessel of the licensee.
[Regulation 33 inserted in Gazette 4 Jul 1997 p. 3525‑6.]
34.
(1)The Authority may, if it satisfied that a mooring does not comply with the approved mooring specifications, by written notice served on the relevant mooring site licensee, direct that licensee to obtain a fresh mooring inspection report in respect of the mooring within the period specified in the notice and at the licensee’s expense.
(2)The Authority may give a direction under subregulation (1) notwithstanding that the mooring site licensee already has a mooring inspection report in respect of the mooring.
(3)The Authority may, by written notice served on a mooring site licensee, direct the licensee to provide to the Authority, within the period specified in the notice, evidence satisfactory to the Authority that —
(a)the licensee meets all or any of the requirements of an applicant under regulation 20(3)(b); or
(b)a licensed vessel of the licensee is a suitable vessel; or
(c)the licensee meets the ownership requirements of these regulations in respect of a licensed or additional vessel of the licensee.
(4)The Authority may, by written notice served on an authorised user direct the authorised user to provide to the Authority, within the period specified in the notice, evidence satisfactory to the Authority that the person’s authorised vessel complies with regulation 31B(4).
[Regulation 34 inserted in Gazette 4 Jul 1997 p. 3526; amended in Gazette 4 Dec 2009 p. 4924.]
35.
The Authority may, on granting a mooring site licence, or on registering an authorised user, allow a rebate (to be calculated on a pro rata basis) of any fee, annual admission payment or annual authorised user payment where the mooring site licence, annual admission payment or annual authorised user payment will be of effect for a period of less than 6 months.
[Regulation 35 inserted in Gazette 4 Jul 1997 p. 3526; amended in Gazette 27 Jun 2003 p. 2407; 4 Dec 2009 p. 4924.]
35A.Net worth of vessel
If there is a dispute as to the net worth of a vessel between the Authority and a person claiming to be the owner of at least 25% of the net worth of the vessel, the Authority shall accept an independent valuation by a valuer nominated by the President of the
[Regulation 35A inserted in Gazette 4 Jul 1997 p. 3526.]
35B.Notices may be affixed to vessel etc.
Without limiting sections 75 and 76 of the Interpretation Act 1984, a notice or direction may be given by the Authority under these regulations —
(a)to a mooring site licensee by affixing it to the licensee’s licensed or additional vessel; and
(b)to an authorised user by affixing it to the person’s authorised vessel.
[Regulation 35B inserted in Gazette 4 Jul 1997 p. 3526; amended in Gazette 4 Dec 2009 p. 4924‑5.]
[Division 4 (r. 35C-35G) deleted in Gazette 25 Oct 2011 p. 4513.]
Division 1 — Control and regulation of access
36.Restricted areas
(1)A person shall not, without permission —
(a)be in an area of the
(b)be in a protected area for the time being set aside under subregulation (3); or
(c)use a track or path that is for the time being closed under subregulation (4).
Penalty: a fine of $750.
(2)The powers in subregulations (3) and (4) may only be exercised for the purpose of protecting the safety of persons within the limits of the Island or protecting or repairing the natural environment, fauna or flora or man‑made resources of the
(3)The Authority may by the erection or establishment of signs and fencing set aside an area as a protected area for the purposes of this regulation.
(4)The Authority may by the erection or establishment of signs close a track or path to pedestrians or vehicles or to both.
(5)Sufficient signs shall be erected and maintained by the Authority in or in the vicinity of a restricted area, a protected area or a track or path that is closed under this regulation indicating that entry to that area or use of that track or path, as the case may be, is prohibited without permission.
(6)The inscription on a sign erected under this regulation operates according to its tenor.
(7)It is a defence to a charge of an offence under subregulation (1) for a person to show that entry to a restricted area or a protected area or use of a track or path without permission was necessary to prevent or mitigate injury to a person or damage to property.
[Regulation 36 amended in Gazette 9 Nov 1990 p. 5590; 8 Dec 2009 p. 5003; 17 Dec 2010 p. 6361.]
[Heading inserted in Gazette 4 Jul 1997 p. 3529.]
36A.
A person shall not —
(a)secure a vessel to a fence or other land‑based structure that is not designed principally for the purpose of securing vessels; or
(b)use any apparatus as a beach anchor unless that apparatus is designed principally for use as a beach anchor.
Penalty: a fine of $750.
[Regulation 36A inserted in Gazette 4 Jul 1997 p. 3529; amended in Gazette 8 Dec 2009 p. 5003.]
37.Beaching
(1)A person shall not, without permission —
(a)beach a vessel; or
(b)anchor a vessel by placing the anchor on a beach,
in
Penalty: a fine of $750.
(2)In subregulation (1) —
(a)in paragraph (b) beach includes any part of the foreshore that is above the low water mark whether it is covered by water or not; and
(b)permitted area means an area that is between 2 signs for the time being, erected or established by the Authority and inscribed with words indicating that the beaching or beach‑anchoring of vessels is permitted and each having an arrow pointing generally towards the other sign.
(3)The Authority may, if it is satisfied that a vessel is beached or anchored in contravention of subregulation (1), direct the owner or person in charge, or apparently in charge, or a user of the vessel to remove immediately the vessel from the place where it is beached or anchored.
(4)A person given a direction under subregulation (3) shall comply with the direction.
Penalty: a fine of $750.
(5)If —
(a)a person to whom a direction is given under subregulation (3) fails to comply with the direction; or
(b)a vessel beached or anchored in contravention of subregulation (1) is unattended,
the Authority may —
(c)cause the vessel to be removed to a place where the beaching or beach anchoring of vessels is permitted; or
(d)take possession of the vessel and deal with it as if the vessel were abandoned and, for that purpose, if the direction under subregulation (3) is given in writing, that direction shall be taken to be a notice given under regulation 74(2)(b).
[Regulation 37 amended in Gazette 4 Jul 1997 p. 3529‑30; 8 Dec 2009 p. 5004.]
A person shall not, without permission, have or use a boat on any lake on the
Penalty: $300.
38A.Speed restrictions for vessels
(1)The Authority may, by notice published in the Gazette, limit the speed of any specified class or classes of vessel in any area of the waters of the
(2)The Authority may vary or cancel a notice under this regulation.
(3)A person shall not drive a vessel in an area defined in a notice under subregulation (1) at a speed exceeding the limit specified for a vessel of that class in the notice.
Penalty: $1 000.
[Regulation 38A inserted in Gazette 4 Jul 1997 p. 3530.]
38BA.Restricting use of certain vessels to specified areas
(1)The Authority may, by notice published in the Gazette, define and set aside any area of the waters of the
(2)The Authority may, in the notice, impose conditions on the use of vessels of that class in that area.
(3)If a notice has been made under this regulation in respect of a class of vessels, a person must not use a vessel of that class in the waters of the
(a)in the area set aside by the notice; and
(b)in accordance with any conditions specified in the notice.
Penalty: $1 000.
[Regulation 38BA inserted in Gazette 4 Dec 2009 p. 4925.]
38B.Areas may be set aside for specified vessels
(1)The Authority may, by notice published in the Gazette, define and set aside any area of the waters of the
(2)The Authority may, in the notice, impose conditions on the use of vessels of the specified class in that area.
(3)If a notice has been made under this regulation in respect of an area, a person must not use a vessel in that area unless —
(a)the vessel is of the class specified in the notice; and
(b)the person does so in accordance with any conditions specified in the notice.
Penalty: $1 000.
[Regulation 38B inserted in Gazette 4 Dec 2009 p. 4925.]
(1)In this regulation —
liquid waste means faecal matter or urine and any waste composed wholly or in part of liquid;
sullage means liquid waste from bathrooms, laundries and galleys including floor waste from those sources.
(2)A person shall not discharge or deposit within the limits of the
Penalty: $1 000.
[Regulation 38C inserted in Gazette 4 Jul 1997 p. 3531.]
Division 2 — Protection of flora, fauna, etc.
(1)A person shall not without permission or under the authority of a written law injure, destroy or take any flora living or dead within the limits of the Island or remove any stake supporting, or any label on or near, any such flora.
Penalty: $1 000.
(2)In subregulation (1) —
(a)flora means any form of plant life, and any part or seeds or spores of such flora;
(b)take includes gather, pluck, cut, pull up and dig up.
(1)A person shall not without permission or under the authority of a written law —
(a)interfere with, take or destroy any fauna within the limits of the
(b)interfere with or destroy any nest, spawning ground or habitat of any such fauna.
Penalty: $1 000.
(2)Subregulation (1) does not apply to —
(a)the taking of fish in accordance with the Fisheries Act 1905 3; or
(b)the removal or destruction of feral or stray animals or birds.
(3)In this regulation —
fauna means any living thing that is not a human being or a plant and includes the eggs and immature stages of fauna; and
fish means any marine or fresh water fish or crustacean or any other form of marine animal life.
41.No animal or bird to be landed on
(1)A person shall not without permission cause or allow any animal or bird to enter within the limits of the
Penalty: $1 000
(2)Nothing in this regulation applies to fauna that is indigenous to the
(3)A ranger may take and destroy any animal or bird that he believes to be within the limits of the
(1)The Authority may by resolution determine that the feeding of fauna of a kind specified in the resolution is prohibited within the limits of the
(2)A person shall not feed fauna in respect of which a resolution has been made under subregulation (1) within the limits of the
(a)erected signs on the
(b)otherwise notified that person that the feeding of fauna of that kind is prohibited.
Penalty: a fine of $750.
[Regulation 41A inserted in Gazette 4 Jul 1997 p. 3531; amended in Gazette 8 Dec 2009 p. 5004.]
41B.No flora to be brought to
(1)In this regulation —
flora means any form of, or any part of, plant life or a fungus, but does not include anything intended for human consumption.
(2)A person must not without permission cause or allow any flora to be brought within the limits of the
Penalty: a fine of $1 000.
(3)A ranger may take and destroy any flora that the ranger believes to be within the limits of the
[Regulation 41B inserted in Gazette 25 Oct 2011 p. 4513-14.]
42.Rocks and soil,
(1)A person shall not without permission cause damage to the
(a)removing, damaging, interfering with, or marking any rock; or
(b)removing or displacing any soil,
within the limits of the
Penalty: a fine of $750.
(2)Nothing in subregulation (1) applies to things done in the reasonable use and enjoyment of the
[Regulation 42 amended in Gazette 8 Dec 2009 p. 5004.]
43.Application of Road Traffic Act 1974
(1)For the avoidance of doubt it is declared that —
(a)roads on the
(b)that Act applies on the
(2)Nothing in this regulation shall have the effect of prohibiting the use on roads on the
44.Traffic signs and directions
(1)The Authority may erect or establish any traffic sign, that is a sign, mark, structure or device for the purpose of prohibiting, regulating or controlling the use, standing or parking of vehicles on the
(2)The inscription on a traffic sign operates according to its tenor.
(3)A person shall comply with —
(a)the inscription on a traffic sign erected or established under subregulation (1); or
(b)a signal or direction by a ranger as to the use, parking or movement of a vehicle that is addressed to him and that is reasonably required for the regulation of traffic.
[Regulation 44 amended in Gazette 8 Dec 2009 p. 5004.]
45.Restriction on bringing vehicles to
(1)A person shall not, without permission, bring on to the
(a)a bicycle or other wheeled vehicle that is designed to be propelled solely by human power; or
(b)a wheelchair designed to be propelled solely by human power, or a motorised wheelchair that is designed so as to be not capable of a speed exceeding 10 km/h, for the exclusive use of a person whose physical condition requires the use of a wheelchair.
Penalty: $1 000.
(2)A ranger may —
(a)require a person to remove from the Island within a specified time any vehicle brought on to the
(b)if such a requirement is not complied with, remove the vehicle from the
(3)A person shall comply with a requirement made of him under subregulation (2)(a).
Penalty: $1 000.
(4)A ranger may do all such things as may be reasonably necessary to remove a vehicle under subregulation (2)(b) including breaking into, driving, or towing it, and neither he, nor the Authority, shall be liable for any loss of or damage to the vehicle which occurs without negligence or wilful misconduct on his part.
(5)The Authority may, in a court of competent jurisdiction, recover from the owner of a vehicle all costs and expenses reasonably incurred in removing a vehicle under this regulation and any person may, on the instructions of a ranger, refuse to deliver possession of the vehicle to the owner until such costs and expenses are paid.
[Regulation 45 amended in Gazette 19 Jun 1998 p. 3303; 25 Oct 2011 p. 4514.]
(1)A person shall not, without permission, use a vehicle on the
Penalty: $1 000.
(2)In subregulation (1) vehicle does not include a wheelchair as referred to in regulation 45(1)(b) or a bicycle or other vehicle that is designed to be propelled solely by human power.
[Regulation 46 amended in Gazette 25 Oct 2011 p. 4514.]
47.Speed restrictions
(1)A person shall not drive or ride a vehicle at a speed exceeding —
(a)20 km per hour, within the settlement; or
(b)40 km per hour outside the settlement,
and the Authority has no power under regulation 44 to authorise any higher speed limit.
Penalty: $1 000.
(2)Subregulation (1) does not justify the driver of a vehicle driving at a speed that may constitute driving carelessly, recklessly or at a speed, or in a manner, that is dangerous to the public, having regard to all the circumstances.
(3)In subregulation (1) settlement has the meaning assigned to it by section 14(3) of the Act.
(1)The driver of a motor vehicle on a road on the
Penalty: $1 000.
(2)In subregulation (1) —
other road users means pedestrians and any person riding or using a bicycle or wheeled vehicle that is designed to be propelled solely by human power.
(3)The requirement to give way takes effect in the circumstances described in regulation 7 of the Road Traffic Code 2000 and is to be complied with as described in that regulation.
[Regulation 48 amended in Gazette 7 Dec 2001 p. 6189.]
A person shall not, without permission, drive a motor vehicle on any beach of the
Penalty: $1 000.
(1)Notwithstanding anything in these regulations the driver of an emergency vehicle may, in the course of his duties and when it is expedient and safe to do so —
(a)stop, stand or park the vehicle at any place and at any time; or
(b)exceed the speeds prescribed by regulation 47.
(2)In subregulation (1) emergency vehicle means a motor vehicle being used in connection with —
(a)urgent police duties;
(b)the fighting of fire or the answering of a fire call;
(c)assistance to a sick or injured person;
(d)any other emergency in which human life is reasonably believed by the driver of the vehicle to be in danger.
51.Possession of hired bicycles
(1)A person shall not be in possession of —
(a)a hired bicycle without the consent of the hirer; or
(b)any other bicycle or a wheeled vehicle that is designed to be propelled solely by human power without the consent of the owner or person lawfully in charge of the same.
Penalty: a fine of $750.
(2)In subregulation (1) hired bicycle means a bicycle for the time being let out on hire —
(a)by the Authority in the course of operating a business of hiring bicycles; or
(b)by any person in the course of operating such a business under an arrangement made with the Authority.
(3)Subregulation (1) does not apply to a ranger acting in the course of duty.
[Regulation 51 amended in Gazette 4 Jan 2013 p. 23.]
Division 4 — Control of certain activities
52.Erection of structures
(1)A person shall not without permission erect any structure within the limits of the
Penalty: $1 000.
(2)A person shall not without permission erect a tent within the limits of the
Penalty: a fine of $750.
(3)The Authority may remove and dispose of any structure or tent that has been erected in contravention of subregulation (1) or (2).
(4)The cost incurred by the Authority under subregulation (3) is a debt due to the Authority by a person who is shown to have erected the structure or tent and is recoverable in a court of competent jurisdiction.
(5)In this regulation structure means a building and any other thing that is fixed to land or to anything that is fixed to land.
[Regulation 52 amended in Gazette 8 Dec 2009 p. 5004.]
53.Organized events and meetings
(1)A person shall not without permission organize, advertise or participate in —
(a)any fete, concert, picnic or spectator event within the limits of the
(b)any race, game or sporting event that is of a dangerous nature, is likely to constitute an inconvenience or annoyance to persons, or affect the natural surface of the
(c)any public meeting or public speaking within the limits of the
Penalty: $1 000.
(2)Nothing in subregulation (1)(a) applies to persons recreating as a family or group of families.
54.Photography for commercial purposes
A person shall not, without permission take still or motion pictures within the limits of the
Penalty: a fine of $750.
[Regulation 54 amended in Gazette 9 Nov 1990 p. 5590; 8 Dec 2009 p. 5004.]
55.Bill sticking, advertising etc.
(1)A person shall not without permission —
(a)post, stick, stamp, stencil or otherwise affix any notice, handbill, placard, advertisement, paper or other document on or to any rock, tree, fence, post, gate, wall, pavement, road, footway, or building or other structure within the limits of the Island; or
(b)write, draw or paint on or deface any rock, tree, fence, post, gate, wall, pavement, road, footway, or building or other structure within the limits of the
(c)cause any of the acts prohibited by paragraph (a) or (b) to be done by any person.
Penalty: a fine of $750.
(2)Nothing in subregulation (1)(a) applies to the use of a notice board set up by the Authority for public use.
[Regulation 55 amended in Gazette 8 Dec 2009 p. 5004.]
56.Distribution of printed matter
(1)A person shall not without permission sell or distribute or carry or expose for sale or distribution within the limits of the
Penalty: a fine of $750.
(2)It is immaterial for the purposes of subregulation (1) that any matter is distributed or carried or exposed for distribution free of charge.
[Regulation 56 amended in Gazette 8 Dec 2009 p. 5005.]
57.Unauthorised
A person shall not within the limits of the
Penalty: a fine of $750.
[Regulation 57 inserted in Gazette 9 Nov 1990 p. 5590; amended in Gazette 8 Dec 2009 p. 5005.]
Regulations 55 and 56 do not apply to any person, or the agent or employee of any person with whom the Authority has made an arrangement under section 13(d) of the Act so far as he, or his agent or employee, is acting in accordance with that arrangement.
(1)A person shall not without permission —
(a)carry or discharge any firearm, speargun, gidgie or any other offensive weapon, device or means for the taking of fauna;
(b)throw or release any missile or dangerous object or material of any kind;
(c)carry, make or set any trap or snare for any fauna,
within the limits of the
Penalty: $1 000.
(2)A person shall not without permission have any explosive device in his possession, or discharge an explosive device, within the limits of the
Penalty: $1 000.
(3)In subregulation (1) fauna has the meaning assigned to it by regulation 40(3).
(3a)In subregulation (2) —
explosive device
(4)Nothing in this regulation applies to —
(a)a speargun or gidgie that is carried in waters of the
(b)the carrying or use of a firearm by a police officer in the course of duty; or
(c)the carrying of a marine flare in the waters of the
(d)the discharge of a marine flare in the waters of the
[Regulation 59 amended in Gazette 4 Jul 1997 p. 3531; 7 Dec 2001 p. 6189.]
(1)A person shall not without permission light make or use a fire on the
(a)a gas cooking stove; or
(b)an indoor fireplace provided by the Authority.
Penalty: $1 000.
(2)Nothing in subregulation (1) shall be read as authorising a person to light a fire in an open fireplace in contravention of the Bush Fires Act 1954.
[Regulation 60 amended in Gazette 4 Jul 1997 p. 3532.]
(1)A person shall not use a board or other object to slide down sandhills on the
Penalty: $1 000.
(2)A person shall not possess a sandboard on the
Penalty: a fine of $750.
(3)In this regulation —
sandboard means a board designed to be used for sliding down a slope of land.
[Regulation 60A inserted in Gazette 4 Jul 1997 p. 3532; amended in Gazette 8 Dec 2009 p. 5005.]
(1)A person shall not deposit litter, or cause litter to be deposited, within the limits of the
Penalty: $1 000.
(2)In this regulation —
litter has the same meaning as in the Litter Act 1979.
[Regulation 60B inserted in Gazette 4 Jul 1997 p. 3532.]
Division 5 — Protection of certain undertakings
61.Water supply
(1)A person shall not throw, deposit or leave any refuse or any noxious or polluting substance or thing —
(a)in any —
(i)reservoir or tank that holds or is intended to hold water for human consumption or use on the
(ii)pipe, conduit or fitting through which such water is passed or intended to be passed; or
(iii)pit, manhole or other structure containing valves, meters, fittings or connections for the distribution of such water;
or
(b)on any water catchment area on the
Penalty: $1 000.
(2)A person shall not swim, bathe or wash in any reservoir or tank containing water stored for human consumption or use on the
Penalty: $1 000.
(3)In subregulation (1) water catchment area means any area within which surface water is collected into a storage reservoir or tank for human consumption or use and —
(a)which is by order of the Authority published in the Gazette declared to be a water catchment area for the purposes of that subregulation; and
(b)in or in the vicinity of which there are sufficient signs indicating to the public that the area is a water catchment area.
62.
A person shall not, without permission —
(a)draw electricity or gas from the Authority’s supply; or
(b)remove, or interfere with, any component of, or appliance or fitting attached to, the Authority’s system for gas or electricity supply, street lighting, or sewerage disposal; or
(c)put gas or electricity, or any appliance or fitting attached to the Authority’s system for the supply of gas or electricity, to any use other than that for which it was provided or installed; or
(d)attempt to replace or repair any appliance or fitting installed by the Authority that has become unserviceable or ineffectual.
Penalty: $1 000.
In this Part, unless the contrary intention appears —
aerodrome means that part of the
aircraft means any machine or craft that can derive support in the atmosphere from reaction with the air.
64.Use
(1)Subject to this regulation, the aerodrome may be used for the landing, servicing and departure of aircraft, the embarkation and disembarkation of passengers and the transport of freight.
(2)The Authority may close the aerodrome to aircraft movements if it considers the surface of the aerodrome to be unsafe.
(3)A person in control of an aircraft shall not land at or depart from the aerodrome while it is closed under subregulation (2).
Penalty: $1 000.
(1)A person shall not without permission be within the limits of the aerodrome, except within the terminal building, unless he is authorised by subregulation (2).
Penalty: $1 000.
(2)A person is authorised for the purposes of subregulation (1) if he —
(a)is required to be within the aerodrome in the course of his employment, trade or business; or
(b)is a passenger on, an intending passenger embarking on, or a person who has disembarked from, an aircraft lawfully using the aerodrome.
66.Aircraft landings etc. restricted to aerodrome
(1)Except in an emergency, a person in control of an aircraft shall not without permission —
(a)land or touch down the aircraft within the limits of the
(b)take off or ascend from any part of the
Penalty: $1 000.
(2)In subregulation (1) aircraft includes a hang‑glider and a balloon.
(1)The Authority may erect or establish any sign, mark, structure or device for the purpose of prohibiting, regulating or controlling the standing or parking of aircraft within the aerodrome, and the inscription on any such sign operates according to its tenor.
(2)A person shall comply with the inscription on a sign erected or established under subregulation (1).
Penalty: $1 000.
68.Removing certain persons from aerodrome
(1)An authorised person may remove from the aerodrome and may refuse admission to, any person, whether or not a passenger or intending passenger, whom he considers to be under the influence of liquor, drugs or other substance so as to make his presence within the aerodrome dangerous to himself or others or offensive to others or otherwise undesirable.
(2)In subregulation (1) authorised person means a ranger or person employed by the Authority to manage or assist in the operation of the aerodrome.
[Regulation 68 amended in Gazette 15 Oct 2010 p. 5176.]
A person shall not without authority destroy or damage any building or other structure within the limits of the Island or any property owned by or under the control and management of the Authority, a public utility, or any person carrying on business on the Island.
Penalty: $1 000.
[Regulation 69 amended in Gazette 4 Jul 1997 p. 3532.]
70.Assault
(1)A person shall not within the limits of the
(a)unlawfully assault any person; or
(b)use indecent, obscene, threatening, abusive or insulting language; or
(c)do or engage in any offensive, indecent or improper act, conduct or behaviour; or
(d)act in such a way as to cause a nuisance or annoyance to persons within the limits of the
Penalty: $1 000.
(2)In subregulation (1)(a) assault and unlawfully have the respective meanings assigned to them by sections 222 and 223 of The Criminal Code.
(3)A person shall not write, draw, print, publish, record, broadcast, distribute, or otherwise disseminate within the limits of the
Penalty: $1 000.
[Regulation 70 amended in Gazette 4 Jul 1997 p. 3532‑3.]
A person shall not without permission, by the use of any electronic, mechanical or other instrument or machine or by natural means within the limits of the Island cause or produce a noise that unreasonably interferes with the convenience, comfort or amenity of any person.
Penalty: $1 000.
[Regulation 71 amended in Gazette 4 Jul 1997 p. 3533.]
72.Liquor not to be consumed at
(1)In this regulation —
Kingstown Barracks Restricted Alcohol Consumption Area means the area bounded by —
(a)a line between coordinates 115°33'14.658"E 32°0'14.009"S and 115°33'16.745"E 32°0'16.137"S; and
(b)a line between coordinates 115°33'16.745"E 32°0'16.137"S and 115°33'11.719"E 32°0'19.547"S; and
(c)a line between coordinates 115°33'11.719"E 32°0'19.547"S and 115°33'9.742"E 32°0'17.035"S; and
(d)a line between coordinates 115°33'9.742"E 32°0'17.035"S and 115°33'14.658"E 32°0'14.009"S; and
which area is represented in the plan in Schedule 4A.
(2)A person must not, without permission, consume liquor at Kingstown Barracks Restricted Alcohol Consumption Area.
Penalty: a fine of $1 000.
[Regulation 72 inserted in Gazette 25 Oct 2011 p. 4514-15.]
72AA.Ranger may direct person to stop activity
(1)A ranger may direct a person within the limits of the
(a)causing a disturbance or annoyance to other persons or, in the opinion of the ranger, disorderly or offensive; or
(b)in the opinion of the ranger, dangerous.
(2)A person must comply with a direction of a ranger under this regulation.
Penalty: a fine of $1 000.
[Regulation 72AA inserted in Gazette 17 Dec 2010 p. 6361.]
72A.Adequate insurance cover
(1)The Authority may, by notice published in the Gazette —
(a)specify, in relation to any class or classes of vessel —
(i)the type of insurance; and
(ii)the amount of indemnity provided by that insurance,
that is adequate insurance cover for the purposes of these regulations; and
(b)exempt any vessel, class or classes of vessel from the operation of any of these regulations to the extent that the regulation requires the vessel to have adequate insurance cover.
(2)An exemption under subregulation (1)(b) —
(a)is subject to such conditions and restrictions as the Authority may specify in the notice of exemption; and
(b)has effect according to its tenor.
(3)If the conditions or restrictions to which an exemption is subject are breached, the exemption ceases to have effect.
(4)The Authority may vary or revoke a notice under subregulation (1).
(5)A person shall not bring a vessel within the limits of the Island, or allow a vessel to remain within the limits of the
Penalty: a fine of $750.
(6)For the purposes of subregulation (5), any person on a vessel (other than a vessel on which persons are usually carried for reward) is taken to allow the vessel to remain within the limits of the
(a)the person does not have responsibility for the vessel; and
(b)another person is properly responsible for the vessel.
[Regulation 72A inserted in Gazette 4 Jul 1997 p. 3533‑4; amended in Gazette 19 Jun 1998 p. 3303; 8 Dec 2009 p. 5005.]
(1)The offences created by a provision of these regulations specified in column 2 of table set out in Schedule 4 are the offences to which a modified penalty under section 42 of the Act applies.
(2)Forms 2 and 3 in Schedule 1 are prescribed for the purposes of subsections (1) and (6) respectively of section 42 of the Act.
74.Abandoned or dangerous property
(1)Subject to this regulation, the Authority may take possession of any property within the limits of the
(a)the Authority has reasonable grounds to believe that it has been abandoned, is derelict or constitutes a danger to persons or property or an environmental risk; or
(b)a notice under subregulation (2)(b) relating to that property has not been complied with.
(2)Before exercising the power in subregulation (1)(a) in respect of property that is abandoned or derelict the Authority shall —
(a)make reasonable inquiry as to the identity and whereabouts of the person who is or has been the owner or part owner of the property or has or last had possession of the property; and
(b)if the identity and whereabouts of that person become known to the Authority, give written notice to the person requiring the person to remove the property within the time specified in the notice.
(3)A person to whom a notice is given under subregulation (2)(b) shall comply with the notice.
Penalty: $1 000.
(4)Any cost incurred by or on behalf of the Authority under this regulation is a debt due to the Authority by a person who is shown to have been the owner or a part owner, or in the case of abandoned property, the former owner or a former part owner, at the time of removal and is recoverable in a court of competent jurisdiction.
[(5)-(7)deleted]
(8)The Authority shall give possession of the property to any person who proves that he or she is entitled to the property and who pays to the Authority all costs incurred by it under this regulation.
(9)If property is owned by more than one person each person shall be jointly and severally liable for any debt due to the Authority under this regulation.
[Regulation 74 inserted in Gazette 4 Jul 1997 p. 3534; amended in Gazette 25 Oct 2011 p. 4515.]
A person shall not provide to the Authority information, or authorise or permit the provision to the Authority of information, that the person knows —
(a)to be false or misleading in a material particular; or
(b)has omitted from it a matter or thing the omission of which renders the information misleading in a material respect.
Penalty: a fine of $750.
[Regulation 74A inserted in Gazette 4 Jul 1997 p. 3535; amended in Gazette 8 Dec 2009 p. 5005.]
74B.Offences relating to stickers and documents issued by Authority
(1)A person must not alter any information on —
(a)a sticker issued by the Authority under regulation 7(1)(b) or 7A(1)(b); or
(b)a sticker or document issued by the Authority for a licence or authorisation under Part 3 or 4.
Penalty: a fine of $1 000.
(2)The owner of a vessel, and any person who is in charge of the vessel, must ensure that a sticker issued by Authority under regulation 7(1)(b) or 7A(1)(b) or Part 4 Division 3 is not exhibited on the vessel unless —
(a)the sticker was issued in relation to that vessel; and
(b)the information on the sticker has not been altered.
Penalty: a fine of $1 000.
[Regulation 74B inserted in Gazette 17 Dec 2010 p. 6361.]
74C.Offences relating to documents issued by mooring site licensee
A person must not alter any information on an authorisation document issued by a mooring site licensee.
Penalty: a fine of $1 000.
[Regulation 74C inserted in Gazette 17 Dec 2010 p. 6362.]
75.Repeal and transitional provisions
(1)The Rottnest Island By‑laws are repealed.
(2)An authority or consent given by the Board under the repealed by‑laws that is in force immediately before the commencement is deemed to be a permission granted under these regulations.
(3)A licence under by‑law 13 that is in force immediately before the commencement is deemed to be a licence under regulation 5.
(4)The powers in regulation 41(3) may be exercised in respect of a contravention of by‑law 11.
(5)The powers in regulation 45(2) may be exercised in respect of a contravention of by‑law 18.
(6)A person who immediately before the commencement is liable to pay or remit any admission fee under by‑law 23 or 24 but has not done so is deemed to be liable to pay or remit the fee under regulation 5 or 6, as the case may be.
(7)An amount that is paid under by‑law 23A in respect of the financial year that is current at the commencement is deemed to be paid for the purposes of regulation 7.
(8)Nothing in this regulation shall be construed to limit the operation of the Interpretation Act 1984.
(9)In this regulation —
Board means the Rottnest Island Board dissolved by clause 2 of Schedule 2 of the Act;
by‑law means a by‑law of the repealed by‑laws;
commencement means the commencement of these regulations;
repealed by‑laws means the by‑laws repealed by subregulation (1).
[Regulation 75 amended in Gazette 19 Jun 1998 p. 3303.]
[r. 14 and 73(2)]
[Heading inserted in Gazette 25 Oct 2011 p. 4515.]
[Form 1 deleted in Gazette 4 Jul 1997 p. 3535.]
Form 2
INFRINGEMENT NOTICE
Serial No. .......................
Date ........../........../..........
To: (1) ...................................................................................................................... of: (2) ....................................................................................................................... It is alleged that on ....../....../...... at (3) .................................................................... at (4) ........................................................................................................................ you committed the offence indicated below by a cross (X).
If you do not wish to have a complaint of the alleged offence heard and determined by a court, the amount of the modified penalty as shown may be paid to the Rottnest Island Authority, 1st floor, E Shed, Victoria Quay, or
If this modified penalty is not paid within 21 days of the date of this notice, court proceedings may be taken against you.
....................................
Ranger
(1)Name of alleged offender
(2)Address of alleged offender
(3)Time at which offence allegedly committed
(4)Place at which offence allegedly committed
|
|
OFFENCE |
PENALTY |
|
o |
Regulation 5(4) — failing or refusing to pay admission fee, not being a passenger on commercial transport |
$150 |
|
o |
Regulation 9(1) — taking up unauthorised casual residence |
$200 |
|
o |
Regulation 11(2) — securing vessel to mooring without authority or without exhibiting sticker or licence |
$150 |
|
o |
Regulation 38A(3) — exceeding speed limit for vessel in defined area |
$100 |
|
o |
Regulation 40(1) — interfering etc. with fauna or habitat etc. of fauna |
$200 |
|
o |
Regulation 41(1) — without permission causing or allowing animal or bird to enter |
$200 |
|
o |
Regulation 41A(2) — feeding fauna contrary to sign or notice |
$150 |
|
o |
Regulation 59(1)(a) — without permission carrying or discharging firearm, speargun, gidgie etc. |
$200 |
|
o |
Regulation 60(1) — without permission lighting, making or using fire other than in gas stove or indoor fireplace |
$200 |
|
o |
Regulation 60B(1) — littering |
$200 |
|
o |
Regulation 70(1)(c) — doing or engaging in any offensive, indecent or improper act, conduct or behaviour |
$200 |
|
o |
Regulation 72(2) — consuming alcohol in Kingstown Barracks Restricted Alcohol Consumption Area |
$200 |
|
o |
Other (specify) |
$ |
[Form 2 inserted in Gazette 7 Dec 2001 p. 6189‑90; amended in Gazette 8 Dec 2009 p. 5005‑6; 25 Oct 2011 p. 4515.]
Form 3
WITHDRAWAL OF INFRINGEMENT NOTICE
No. ..................................
Date.................................
To (1) ...................................................................................................................... Infringement Notice No. ................... dated .......................................................... for the alleged offence of (2) ................................................................................... ................................................................................................................................ ................................................................................................................................ ..................................... (Modified penalty $ ..................................... (3)) is hereby withdrawn.
No further action will be taken. (4)
OR
It is proposed to institute court proceedings for the alleged offence. (4)
.................................................
Chief Executive Officer,
(1) Insert name and address of alleged offender.
(2) Insert short particulars of offence alleged.
(3) Insert amount of penalty prescribed.
(4) Delete whichever does not apply.
[reg. 36(1)]
Note: Maps showing the approximate boundaries of the areas described in this Schedule are available for inspection at the office of the Authority on the
All that part of the Island containing approximately 16 hectares that is bounded generally to the west and south by the road from Geordie Bay to Bovell Highway, to the north by the cycle track from Longreach settlement to the Basin, and to the east by the golf course, and that is enclosed by a wire netting fence 1 800 mm in height and topped with barbed wire.
Part B — Waste‑water treatment facility
All that part of the Island containing approximately one hectare that is situated to the south of the Point between Pinky Beach and the Basin and to the north of the road between Thomson Bay settlement and the Basin and that is enclosed by a chain mesh fence 1 800 mm in height.
[reg. 63]
All that part of the Island containing approximately 21 hectares that is situated to the south of Government House Lake and bounded by a line commencing where a fence adjoins the west side of the terminal building and following the line of that fence to the edge of Government House Lake and following the edge of that lake for approximately 80 m to a point where it merges with a line of white conical markers and following that line westwards, then southwards, then eastwards, then northwards and then westwards to the edge of the sealed taxi‑way and following the edge of that taxi‑way northwards for approximately 15 m and then westwards for approximately 200 m to the point where it intersects a line drawn through 2 blue conical markers on the east side of the helicopter parking area and following that line for approximately 60 m to the point where it intersects a fence line and following that fence line eastwards, then northwards, then westwards, then southwards and then westwards to the terminal building, and including the terminal building.
A map showing the approximate boundaries of the aerodrome is available for inspection at the office of the Authority on the
[r. 72]
[Heading inserted in Gazette 25 Oct 2011 p. 4516.]

[Schedule 4A inserted in Gazette 25 Oct 2011 p. 4516.]
Schedule 4 — Offences to which modified penalties apply
[r. 73]
[Heading inserted in Gazette 8 Dec 2009 p. 5007.]
|
Item |
Regulation |
Matter to which regulation relates |
Modified penalty |
|
1. |
5(4) |
Failing or refusing to pay admission, not being a passenger on commercial transport |
|
|
2AA. |
6(2) |
Passing on ticket with intention of providing false evidence as to payment of admission fee |
|
|
2A. |
7(2) |
Failing to ensure annual payment sticker is exhibited on non‑commercial vessels or aircraft |
|
|
2B. |
7A(4) |
Failing to ensure annual payment sticker is exhibited on fishing or diving charter vessels |
|
|
2C. |
7E(2) |
Failing to pay Main Jetty berthing fee |
200 |
|
2. |
9(1) |
Taking up unauthorised casual residence |
200 |
|
3. |
11(1)(a) |
Installing mooring without permission |
200 |
|
4. |
11(1)(b) |
Securing vessel to mooring installed without permission |
|
|
5. |
11(2) |
Securing vessel to mooring without authority or without exhibiting sticker or licence |
|
|
6. |
11(3)(a) |
Securing vessel to mooring where vessel already secured |
|
|
7. |
11(3)(b) |
Securing vessel to vessel secured to mooring |
|
|
8. |
12(1) |
Anchoring vessel closer than 50 m to mooring or so that it obstructs mooring |
|
|
9A. |
13A(1) |
Securing vessel by means of another vessel’s anchor |
|
|
9B. |
13(1) |
Anchoring or securing vessel without competent operator |
|
|
9. |
28(3) |
Licensee failing to have mooring inspection report |
|
|
10A. |
28(4) |
Licensee failing to provide copy of any mooring site inspection report within 7 days |
|
|
10. |
28(5) |
Licensee using mooring in respect of which Authority does not have mooring inspection report |
|
|
11. |
29(3) |
Failing to comply with notice to move unattended vessel |
|
|
12. |
30(8) |
Removing mooring that is subject to notice prohibiting removal |
|
|
13. |
36(1)(a) |
Being in a restricted area without permission |
|
|
14. |
36(1)(b) |
Being in a protected area without permission |
|
|
15. |
36(1)(c) |
Using a closed track or path without permission |
|
|
16. |
36A(a) |
Securing vessel to structure not designed for that use |
|
|
17. |
36A(b) |
Using apparatus other than beach anchor as a beach anchor |
|
|
18. |
37(1)(a) |
Beaching vessel in Thomson, Longreach or |
|
|
19. |
37(1)(b) |
Beach‑anchoring a vessel in Thomson, Longreach or |
|
|
20. |
38A(3) |
Exceeding speed limit set for vessel in defined area |
|
|
21. |
38B(3) |
Using vessel contrary to notice setting aside area and imposing conditions for use of that vessel |
|
|
22. |
38C(2) |
Discharging or depositing sullage from vessel other than by approved system |
|
|
23. |
39(1) |
Injuring etc. flora or removing stake or label relating to flora |
|
|
24. |
40(1) |
Interfering etc. with fauna or habitat etc. of fauna |
|
|
25. |
41(1) |
Without permission causing or allowing animal or bird to enter |
|
|
26. |
41A(2) |
Feeding fauna contrary to sign or notice |
150 |
|
27A. |
41B(2) |
Without permission causing or allowing flora to be brought to |
|
|
27. |
42(1) |
Causing damage to any rock or soil without permission |
|
|
28. |
44(3) |
Failing to comply with traffic sign or with ranger’s signal or direction relating to vehicle |
|
|
29A. |
46(1) |
Using vehicle without permission |
200 |
|
29. |
47(1) |
Exceeding speed limit |
100 |
|
30A. |
51(1)(a) |
Possessing hired bicycle without consent |
150 |
|
30B. |
51(1)(b) |
Possessing bicycle or other wheeled vehicle without consent |
|
|
30C. |
52(2) |
Erecting tent without permission |
150 |
|
30. |
53 |
Without permission organising, advertising or participating in any event or meeting |
|
|
31. |
55(1) |
Without permission affixing notice etc., defacing rock, tree, pavement, structure etc. or causing any such act to be done |
|
|
32. |
56(1) |
Without permission selling, distributing etc. printed or written matter |
|
|
33. |
59(1)(a) |
Without permission carrying or discharging firearm, speargun, gidgie etc. |
|
|
34. |
59(2) |
Without permission having, or discharging, explosive device within limits of |
|
|
35. |
60(1) |
Without permission lighting, making or using fire other than in gas stove or indoor fireplace |
|
|
36. |
60A(1) |
Sandboarding |
200 |
|
37. |
60A(2) |
Possessing sandboard |
150 |
|
38. |
60B(1) |
Littering |
200 |
|
39. |
65(1) |
Being within aerodrome limits without permission or authority |
|
|
40. |
69 |
Without authority destroying or damaging building or structure |
|
|
41. |
70(1)(a) |
Unlawfully assaulting a person |
200 |
|
42. |
70(1)(b) |
Using indecent, obscene, threatening, abusive or insulting language |
|
|
43. |
70(1)(c) |
Doing or engaging in any offensive, indecent or improper act, conduct or behaviour |
|
|
44. |
70(1)(d) |
Acting in such a way as to cause a nuisance or annoyance to persons |
|
|
45. |
70(3) |
Writing etc. or distributing or otherwise disseminating indecent or obscene matter |
|
|
46. |
71 |
Causing or producing noise that unreasonably interferes with convenience, comfort or amenity of any person |
|
|
|
|
|
|
|
47. |
72(2) |
Consuming liquor in Kingstown Barracks Restricted Alcohol Consumption Area |
|
|
48. |
72AA(2) |
Failure to comply with direction of ranger |
200 |
|
49. |
74B(1) |
Altering information on sticker or document issued by the Authority |
|
|
50. |
74B(2) |
Wrongly displaying a sticker on a vessel |
200 |
|
51. |
74C |
Altering information on authorisation issued by mooring site licensee |
|
[Schedule 4 inserted in Gazette 8 Dec 2009 p. 5007‑9; amended in Gazette 15 Oct 2010 p. 5177; 17 Dec 2010 p. 6362; 25 Oct 2011 p. 4516-17; 4 Jan 2013 p. 23-4.]
[r. 7A(1)(a)]
[Heading inserted in Gazette 24 Jul 2007 p. 3666; amended in Gazette 4 Mar 2011 p. 701.]
|
Declared number of visits by a vessel to the |
Annual payment |
|
Less than 15 visits |
$41.00 multiplied by capacity* |
|
15 to 30 visits |
$83.00 multiplied by capacity |
|
31 to 45 visits |
$123.50 multiplied by capacity |
|
More than 45 visits |
$165.50 multiplied by capacity |
* In this Schedule, capacity means the maximum number of passengers the vessel is certificated to carry in the waters of the
[Schedule 5 inserted in Gazette 14 Dec 1993 p. 6668; amended in Gazette 23 Jun 2000 p. 3211‑12; 20 Jun 2003 p. 2252; 29 Jun 2004 p. 2546; 8 Aug 2006 p. 2907; 24 Jul 2007 p. 3666; 24 Jun 2008 p. 2911; 3 Jul 2009 p. 2701; 31 Aug 2010 p. 4190; 29 Jul 2011 p. 3145; 29 Jun 2012 p. 2961; 18 Jun 2013 p. 2307.]
[r. 7B and 7C]
[Heading inserted in Gazette 29 Jul 2011 p. 3145.]
|
1.Aerodrome usage fee (r. 7B(1)) |
$47.00 |
|
2.Aerodrome usage fee for calculating annual payment (r. 7C(1)(b)) |
|
[Schedule 6 inserted in Gazette 29 Jul 2011 p. 3145; amended in Gazette 29 Jun 2012 p. 2961; 18 Jun 2013 p. 2307.]
Schedule 7 — Miscellaneous fees
[Heading inserted in Gazette 3 Jul 2009 p. 2701.]
Part 1 — Admission fees and payments
[Heading inserted in Gazette 3 Jul 2009 p. 2701.]
|
1. |
Admission fee to Island for person travelling to and from the |
|
|
|
For child (aged 4 years or over but less than 13 years) |
|
|
|
For adult (aged 13 years or over) |
$16.50 |
|
|
For family (2 adults and 2 children) |
$38.50 |
|
2. |
Admission fee to Island for person travelling to and from the |
|
|
|
For child (aged 4 years or over but less than 13 years) |
|
|
|
For adult (aged 13 years or over) |
$21.50 |
|
|
For family (2 adults and 2 children) |
$48.50 |
|
3. |
Annual fee in lieu of admission fee for vessels (r. 7) |
|
|
|
Length of vessel |
|
|
|
8 m or less |
$215.50 |
|
|
More than 8 m but less than 10 m |
$245.00 |
|
|
10 m or more but less than 15 m |
$294.00 |
|
|
15 m or more |
$490.00 |
|
4. |
Annual fee in lieu of admission fee for aircraft (r. 7) |
$216.00 |
[Part 1 inserted in Gazette 3 Jul 2009 p. 2701‑2; amended in Gazette 31 Aug 2010 p. 4190‑1; 29 Jul 2011 p. 3146; 29 Jun 2012 p. 2961; 18 Jun 2013 p. 2308.]
[Heading inserted in Gazette 3 Jul 2009 p. 2702.]
|
5. |
Application fee for mooring site licence (r. 20(3)(c)) |
$47.00 |
|
6. |
Annual mooring site licence (r. 22(3)(b)(i) and 33(3)(b)(i)) |
|
|
|
Length of vessel |
|
|
|
10 m or less |
$877.00 |
|
|
More than 10 m |
$88.00/m of length of licensed vessel or vessel to be licensed |
|
7A. |
Fee for replacement of lost mooring sticker (r. 26(4A)) |
$20.00 |
|
7B. |
Mooring exchange fee (r. 30(10)(ba)) |
$250.00 |
[Part 2 inserted in Gazette 3 Jul 2009 p. 2702; amended in Gazette 31 Aug 2010 p. 4190‑1; 29 Jul 2011 p. 3146; 29 Jun 2012 p. 2961-2; 18 Jun 2013 p. 2308.]
Part 3 — Authorised user payment
[Heading inserted in Gazette 3 Jul 2009 p. 2702.]
|
7. |
Annual authorised user payment (r. 31B(3)(a)(ii) and 31E(1)(b)) |
$44.50/m of length of authorised vessel |
[Part 3 inserted in Gazette 3 Jul 2009 p. 2702; amended in Gazette 4 Dec 2009 p. 4924-5; 31 Aug 2010 p. 4190‑1; 29 Jul 2011 p. 3146; 29 Jun 2012 p. 2962; 18 Jun 2013 p. 2308.]
Schedule 8 — Berthing fee for Main Ferry Jetty
[Heading inserted in Gazette 29 Jun 2004 p. 2547.]
[r. 7E]
|
Method of calculating annual rate (based on surveyed passenger carrying capacity for the vessel’s highest class of survey) plus — |
$53.50 per passenger |
|
Vessels less than 35 m: |
$381.50/m x length of vessel |
|
Vessels 35 m and over: |
$608.00/m x length of vessel |
|
Fees for berthing at the Main Ferry Jetty are as follows — |
|
|
Annual Rate: |
Vessel occupying a berth overnight to be at annual rate. |
|
|
Vessel occupying a berth for a portion of the day to be at 50% of the annual rate. |
|
Quarterly Rate: |
30% of the annual rate. |
|
Monthly Rate: |
12% of the annual rate. |
|
Daily Rate: |
1% of the annual rate. |
[Schedule 8 inserted in Gazette 29 Jun 2004 p. 2547‑8; amended in Gazette 8 Aug 2006 p. 2908; 24 Jul 2007 p. 3667; 24 Jun 2008 p. 2912‑13; 3 Jul 2009 p. 2703; 31 Aug 2010 p. 4191; 29 Jul 2011 p. 3146; 29 Jun 2012 p. 2962; 18 Jun 2013 p. 2308.]
1This is a compilation of the
|
Citation |
Gazettal |
Commencement |
|
|
30 May 1988 p. 1825‑46 |
30 May 1988 (see r. 2 and Gazette 30 May 1998 p. 1823) |
|
|
9 Nov 1990 p. 5589‑91 |
9 Nov 1990 |
|
|
14 Jun 1991 p. 2914‑15 |
14 Jun 1991 |
|
|
29 Oct 1993 p. 5928 |
29 Oct 1993 |
|
|
14 Dec 1993 p. 6666‑8 |
14 Dec 1993 |
|
|
30 Dec 1994 p. 7347‑9 |
30 Dec 1994 |
|
|
21 Jul 1995 p. 3115‑16 |
21 Jul 1995 |
|
|
4 Jul 1997 p. 3510‑39 |
4 Jul 1997 |
|
Reprint of the |
||
|
|
19 Jun 1998 p. 3302‑3 |
1 Jul 1998 (see r. 2) |
|
|
15 Jun 1999 p. 2574‑5 |
15 Jun 1999 |
|
|
23 Jun 2000 p. 3211‑12 |
1 Jul 2000 (see r. 2) |
|
|
7 Dec 2001 p. 6188‑90 |
7 Dec 2001 |
|
|
24 Apr 2003 p. 1271‑3 |
24 Apr 2003 |
|
|
20 Jun 2003 p. 2251‑2 |
1 Jul 2003 (see r. 2) |
|
|
27 Jun 2003 p. 2406‑8 |
1 Sep 2003 (see r. 2) |
|
|
29 Jun 2004 p. 2545‑8 |
1 Jul 2004 (see r. 2) |
|
Reprint 2: The |
||
|
|
8 Aug 2006 p. 2906‑8 |
8 Aug 2006 |
|
|
24 Jul 2007 p. 3665‑7 |
r. 1 and 2: 24 Jul 2007 (see r. 2(a)); |
|
|
24 Jun 2008 p. 2911‑13 |
r. 1 and 2: 24 Jun 2008 (see r. 2(a)); |
|
|
3 Jul 2009 p. 2700‑3 |
r. 1 and 2: 3 Jul 2009 (see r. 2(a)); |
|
Reprint 3: The |
||
|
|
4 Dec 2009 p. 4920‑6 |
r. 1 and 2: 4 Dec 2009 (see r. 2(a)); |
|
|
8 Dec 2009 p. 5002‑9 |
r. 1 and 2: 8 Dec 2009 (see r. 2(a)); |
|
|
31 Aug 2010 p. 4189‑91 |
r. 1 and 2: 31 Aug 2010 (see r. 2(a)); |
|
|
15 Oct 2010 p. 5176‑7 |
r. 1 and 2: 15 Oct 2010 (see r. 2(a)); |
|
|
17 Dec 2010 p. 6359‑62 |
r. 1 and 2: 17 Dec 2010 (see r. 2(a)); |
|
|
4 Mar 2011 |
r. 1 and 2: 4 Mar 2011 (see r. 2(a)); |
|
Reprint 4: The |
||
|
|
29 Jul 2011 p. 3144-6 |
r. 1 and 2: 29 Jul 2011 (see r. 2(a)); |
|
|
25 Oct 2011 p. 4512-17 |
r. 1 and 2: 25 Oct 2011 (see r. 2(a)); |
|
|
29 Jun 2012 p. 2960-2 |
r. 1 and 2: 29 Jun 2012 (see r. 2(a)); |
|
|
4 Jan 2013 p. 22-4 |
r. 1 and 2: 4 Jan 2013 (see r. 2(a)); |
|
|
18 Jun 2013 p. 2307-8 |
r. 1 and 2: 18 Jun 2013 (see r. 2(a)); |
2Formerly referred to the Navigable Waters Regulations the citation of which was changed to the Navigable Waters Regulations 1958 by the Navigable Waters Amendment Regulations (No. 2) 2005 r. 3. The reference was changed under the Reprints Act 1984 s. 7(3)(gb).
3Repealed by the Fish Resources Management Act 1994 s. 265.
4Regulations 5, 7 and 18 disallowed on 28 May 1991, see Gazette 31 May 1991 p. 2710‑11.
5The
6The
[This is a list of terms defined and the provisions where they are defined. The list is not part of the law.]
Defined TermProvision(s)
additional vessel19
adequate insurance cover3
aerodrome63
aircraft63, 66(2)
anchor3
annual admission payment3
approved3
assault70(2)
authorised person68(2)
authorised user19
authorised vessel19
beach37(2)(a)
bicycle3
Board75(9)
by‑law75(9)
capacitySch. 5
certificate of registration3
collection period6(1a)
commencement35C, 75(9)
competent operator13(2)
declare3
declared3
eligible applicant35C
emergency vehicle50(2)
existing certificate of registration35C
explosive device59(3a)
fauna40(3), 59(3)
fish40(3)
flora39(2)(a)
hired bicycle51(2)
length3
licensed premises72(2)
licensed vessel19
liquid waste38C(1)
liquor3
litter60B(2)
loss18(1)
mooring3
mooring area3
mooring inspection report19
mooring site3
mooring site licence3
mooring site licensee3
nominated vessel31B(2), 31C(3)(a)
other road users48(2)
overall length3
owner3
permanent resident3
permitted area37(2)(b)
previous licensee30(4)
register3
registered owner35C
rental licence3
rental mooring3
repealed by‑laws75(9)
restricted area36(1)(a)
sandboard60A(3)
settlement47(3)
specified15(6)
structure52(5)
suitable vessel19
sullage38C(1)
take39(2)(b)
unlawfully70(2)
use3
vehicle3, 46(2)
vessel3
waiting list19
water catchment area61(3)
waters of the